Met een eigen account kun je panden volgen, opslaan als favoriet, je zoekprofiel opslaan en jouw eigen notities bij een huis maken.
Algemeen
Welkom aan Aardaker 32: een onder fraaie architectuur gebouwde, royale villa, gelegen in de aantrekkelijke wijk Gulpen-West. Je woont hier nabij het levendige centrum van Gulpen én op loopafstand van het omringende vijfsterrenlandschap. Precies dertig jaar geleden werd deze ruim opgezette woonwijk gerealiseerd aan de westzijde van Gulpen. Zoals zo vaak bevinden de beste kavels zich aan de rand... Meer informatie
-
Kenmerken
Alle kenmerken Type object Villa, woonhuis, vrijstaande woning Bouwjaar 1996 Status Nieuw in verkoop Aangeboden sinds Vrijdag 10 april 2026 -
Locatie
Kenmerken
| Overdracht | |
|---|---|
| Vraagprijs | € 795.000,- k.k. |
| Status | Nieuw in verkoop |
| Aanvaarding | In overleg |
| Aangeboden sinds | Vrijdag 10 april 2026 |
| Bouw | |
|---|---|
| Type object | Villa, woonhuis, vrijstaande woning |
| Soort bouw | Bestaande bouw |
| Bouwjaar | 1996 |
| Isolatievormen | Dakisolatie, Muurisolatie, Vloerisolatie |
| Oppervlaktes en inhoud | |
|---|---|
| Perceeloppervlakte | 663 m² |
| Woonoppervlakte | 228 m² |
| Woonkameroppervlakte | 61 m² |
| Inhoud | 1.084 m³ |
| Oppervlakte overige inpandige ruimten | 35 m² |
| Oppervlakte externe bergruimte | 23 m² |
| Tuinoppervlakte | 460 m² |
| Indeling | |
|---|---|
| Aantal bouwlagen | 1 (en 1 kelder) |
| Aantal kamers | 8 (waarvan 4 slaapkamers) |
| Locatie | |
|---|---|
| Ligging | Aan rustige weg, In woonwijk, Vrij uitzicht |
| Tuin | |
|---|---|
| Type | Achtertuin |
| Hoofdtuin | Ja |
| Oriëntering | Noord west |
| Heeft een achterom | Ja |
| Staat | Goed onderhouden |
| Tuin 2 - Type | Achtertuin |
| Tuin 2 - Staat | Goed onderhouden |
| Tuin 3 - Type | Voortuin |
| Tuin 3 - Staat | Goed onderhouden |
| Energieverbruik | |
|---|---|
| Energielabel | B |
| CV ketel | |
|---|---|
| CV ketel | Nefit Trendline HRC30/CW5 |
| Warmtebron | Gas |
| Bouwjaar | 2013 |
| Combiketel | Ja |
| Eigendom | Eigendom |
| Uitrusting | |
|---|---|
| Aantal parkeerplaatsen | 2 |
| Warm water | CV-ketel |
| Verwarmingssysteem | Centrale verwarming |
| Badkamervoorzieningen | Douche, Dubbele wastafel, Ligbad |
| Tuin aanwezig | Ja |
| Heeft schuur/berging | Ja |
| Heeft zonnecollectoren | Ja |
| Kadastrale gegevens | |
|---|---|
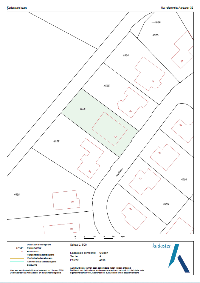
| Kadastrale aanduiding | Gulpen A 4656 |
| Perceeloppervlakte | 663 m² |
| Omvang | Geheel perceel |
| Eigendomsituatie | Eigen grond |
Beschrijving
Welkom aan Aardaker 32: een onder fraaie architectuur gebouwde, royale villa, gelegen in de aantrekkelijke wijk Gulpen-West. Je woont hier nabij het levendige centrum van Gulpen én op loopafstand van het omringende vijfsterrenlandschap. Precies dertig jaar geleden werd deze ruim opgezette woonwijk gerealiseerd aan de westzijde van Gulpen. Zoals zo vaak bevinden de beste kavels zich aan de rand van de villawijk — en juist daar vinden we deze ruim bemeten woning, met als extra bonus een prachtig vrij uitzicht over de glooiende heuvels. Hier woon je heerlijk rustig: je hoort de vogels fluiten en ziet soms een ree of haas door het aangrenzende weiland springen. Met een woonoppervlakte van maar liefst 227 m² voelt een gezin zich hier direct thuis, maar ook met z’n tweeën is het bijzonder comfortabel wonen. De begane grond biedt een royale leefruimte met woonkamer, eetgedeelte en open keuken. Grote raampartijen aan alle zijden zorgen voor veel lichtinval en een prachtig uitzicht. Daarnaast is er een werkkamer met zicht op de tuin, ideaal als thuiswerkplek of speelkamer. De aangebouwde serre vormt een mooie overgang tussen binnen en buiten. Hier geniet je al in het vroege voorjaar van het buitengevoel en met de kachel aan is het ook in de winter een heerlijke, sfeervolle plek. In het ontwerp is gekozen voor een half souterrain, waar zich maar liefst vier slaapkamers, een kleedkamer en een badkamer bevinden. Ondanks de verdiepte ligging zijn alle kamers licht en goed van formaat. Ook de grote inpandige garage is bijzonder praktisch. De op het noordwesten gelegen achtertuin is natuurlijk aangelegd met plantenborders, kronkelende paadjes, een groen gazon en een tuinkas voor de liefhebber van tuinieren. Zowel vanuit de woning als vanuit de tuin geniet je van het vrije uitzicht over de weilanden en bosranden richting Ingber — een typisch Limburgs panoramaplaatje. We zeggen het wel vaker, maar bij deze woning geldt zeker: die moet je gezien hebben. Plan dus zeker een bezichtiging — je bent van harte welkom.
Gulpen vormt letterlijk het hart van de heuvellandgemeente Gulpen-Wittem. Dit sfeervolle dorp, met uitstekende verbindingen naar Maastricht en Aken, biedt alles wat je nodig hebt voor comfortabel wonen. Het voorzieningenniveau is hoog, met een gevarieerd winkelaanbod in het gezellige centrum: supermarkten, bakkers, slagers, speciaalzaken en leuke boetieks. Daarnaast zijn er basisscholen, voortgezet onderwijs, kinderopvang en diverse medische voorzieningen. Het busstation zorgt voor goede verbindingen met het openbaar vervoer en met de auto bereik je eenvoudig steden als Maastricht, Aken en Heerlen. Naast alle praktische voordelen biedt Gulpen volop sfeer en gezelligheid, met tal van horecagelegenheden. Bovendien ligt het dorp midden in het prachtige Heuvellandschap — ideaal voor wandel- en fietsliefhebbers.
Bijzonderheden
- Hardhouten kozijnen met dubbele HR-beglazing
- Serre/tuinkamer gerealiseerd in 2006
- HR-combi CV-installatie (Nefit Trendline, 2013, eigendom)
- Vloerverwarming op de gehele begane grond en in de badkamer (souterrain), overige ruimtes voorzien van radiatoren
- 14 zonnepanelen (2017, eigendom), opbrengst ca. 5.000 kWh per jaar
- Begane grond voorzien van rolluiken
- Tuin voorzien van tuinkas
- Aanvaarding in overleg
Globale indeling
Begane grond
Overdekte entree, hal met garderobe en meterkast, dubbele glazen deur naar de leefruimte
Toilet met staand closet en fonteintje
Woonkamer met schouw en houtkachel
Eetgedeelte met dubbele tuindeuren
Open keuken met de volgende inbouwapparatuur: inductiekookplaat, RVS afzuigkap, koelkast, combi-oven en vaatwasser
Provisieruimte
Werkkamer
Doorlopende granieten vloer op de gehele begane grond
Serre/tuinkamer met vlondervloer, houtkachel en schuifpui
Souterrain
Binnenhal met granieten vloer en toegang tot de tuin
Toilet met staand closet
Slaapkamer I met sauna
Slaapkamer II
Slaapkamer III
Kleedkamer
Slaapkamer IV
Slaapkamers en kleedkamer voorzien van marmoleumvloer
Badkamer met douche, ligbad en dubbele wastafel
Wasruimte met witgoedaansluitingen en CV-installatie
Inpandige garage met automatische sectionaalpoort
Tuinberging (van buitenaf bereikbaar)
Gulpen vormt letterlijk het hart van de heuvellandgemeente Gulpen-Wittem. Dit sfeervolle dorp, met uitstekende verbindingen naar Maastricht en Aken, biedt alles wat je nodig hebt voor comfortabel wonen. Het voorzieningenniveau is hoog, met een gevarieerd winkelaanbod in het gezellige centrum: supermarkten, bakkers, slagers, speciaalzaken en leuke boetieks. Daarnaast zijn er basisscholen, voortgezet onderwijs, kinderopvang en diverse medische voorzieningen. Het busstation zorgt voor goede verbindingen met het openbaar vervoer en met de auto bereik je eenvoudig steden als Maastricht, Aken en Heerlen. Naast alle praktische voordelen biedt Gulpen volop sfeer en gezelligheid, met tal van horecagelegenheden. Bovendien ligt het dorp midden in het prachtige Heuvellandschap — ideaal voor wandel- en fietsliefhebbers.
Bijzonderheden
- Hardhouten kozijnen met dubbele HR-beglazing
- Serre/tuinkamer gerealiseerd in 2006
- HR-combi CV-installatie (Nefit Trendline, 2013, eigendom)
- Vloerverwarming op de gehele begane grond en in de badkamer (souterrain), overige ruimtes voorzien van radiatoren
- 14 zonnepanelen (2017, eigendom), opbrengst ca. 5.000 kWh per jaar
- Begane grond voorzien van rolluiken
- Tuin voorzien van tuinkas
- Aanvaarding in overleg
Globale indeling
Begane grond
Overdekte entree, hal met garderobe en meterkast, dubbele glazen deur naar de leefruimte
Toilet met staand closet en fonteintje
Woonkamer met schouw en houtkachel
Eetgedeelte met dubbele tuindeuren
Open keuken met de volgende inbouwapparatuur: inductiekookplaat, RVS afzuigkap, koelkast, combi-oven en vaatwasser
Provisieruimte
Werkkamer
Doorlopende granieten vloer op de gehele begane grond
Serre/tuinkamer met vlondervloer, houtkachel en schuifpui
Souterrain
Binnenhal met granieten vloer en toegang tot de tuin
Toilet met staand closet
Slaapkamer I met sauna
Slaapkamer II
Slaapkamer III
Kleedkamer
Slaapkamer IV
Slaapkamers en kleedkamer voorzien van marmoleumvloer
Badkamer met douche, ligbad en dubbele wastafel
Wasruimte met witgoedaansluitingen en CV-installatie
Inpandige garage met automatische sectionaalpoort
Tuinberging (van buitenaf bereikbaar)