Met een eigen account kun je panden volgen, opslaan als favoriet, je zoekprofiel opslaan en jouw eigen notities bij een huis maken.
Algemeen
Welkom in Simpelveld, daar waar het Heuvelland begint en je toch alle voorzieningen binnen handbereik hebt. Een aantrekkelijke woonplaats met een hele centrale ligging in Zuid Limburg, autosnelwegen om de hoek, prima busverbinding en een leuke dorpskern met uitgebreid winkelaanbod. Nabij het centrum ligt deze heerlijk ruime tussengelegen woning met diepe tuin met vrij zicht naar het groen. Aan... Meer informatie
-
Kenmerken
Alle kenmerken Type object Eengezinswoning, woonhuis, tussenwoning Bouwjaar 1928 Aangeboden sinds Dinsdag 13 januari 2026 -
Locatie
Kenmerken
| Overdracht | |
|---|---|
| Vraagprijs | € 365.000,- k.k. |
| Aanvaarding | In overleg |
| Aangeboden sinds | Dinsdag 13 januari 2026 |
| Bouw | |
|---|---|
| Type object | Eengezinswoning, woonhuis, tussenwoning |
| Soort bouw | Bestaande bouw |
| Bouwjaar | 1928 |
| Dakbedekking | Dakpannen |
| Type dak | Zadeldak |
| Oppervlaktes en inhoud | |
|---|---|
| Perceeloppervlakte | 505 m² |
| Woonoppervlakte | 154 m² |
| Woonkameroppervlakte | 37 m² |
| Inhoud | 617 m³ |
| Oppervlakte overige inpandige ruimten | 20 m² |
| Oppervlakte externe bergruimte | 11 m² |
| Tuinoppervlakte | 392 m² |
| Indeling | |
|---|---|
| Aantal bouwlagen | 3 (en 1 kelder) |
| Aantal kamers | 7 (waarvan 4 slaapkamers) |
| Locatie | |
|---|---|
| Ligging | Aan drukke weg, Vrij uitzicht |
| Tuin | |
|---|---|
| Type | Achtertuin |
| Hoofdtuin | Ja |
| Oriëntering | Zuiden |
| Staat | Normaal |
| Tuin 2 - Type | Achtertuin |
| Tuin 2 - Staat | Normaal |
| Energieverbruik | |
|---|---|
| Energielabel | E |
| CV ketel | |
|---|---|
| CV ketel | Nefit |
| Warmtebron | Gas |
| Bouwjaar | 2014 |
| Combiketel | Ja |
| Eigendom | Huur |
| Uitrusting | |
|---|---|
| Warm water | CV-ketel |
| Verwarmingssysteem | Centrale verwarming |
| Badkamervoorzieningen | Douche, Dubbele wastafel, Toilet |
| Heeft airco | Ja |
| Tuin aanwezig | Ja |
| Heeft rolluiken | Ja |
| Heeft schuur/berging | Ja |
| Heeft een dakraam | Ja |
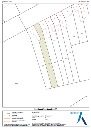
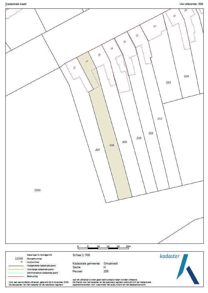
| Kadastrale gegevens | |
|---|---|
| Kadastrale aanduiding | Simpelveld H 208 |
| Perceeloppervlakte | 505 m² |
| Omvang | Geheel perceel |
| Eigendomsituatie | Eigen grond |
Beschrijving
Welkom in Simpelveld, daar waar het Heuvelland begint en je toch alle voorzieningen binnen handbereik hebt. Een aantrekkelijke woonplaats met een hele centrale ligging in Zuid Limburg, autosnelwegen om de hoek, prima busverbinding en een leuke dorpskern met uitgebreid winkelaanbod. Nabij het centrum ligt deze heerlijk ruime tussengelegen woning met diepe tuin met vrij zicht naar het groen. Aan de voorzijde oogt dit huis heel bescheiden, maar als je eenmaal de drempel over bent word je zowel binnen als buiten verrast door het grote oppervlak. Het huis heeft een mooie grote woonkamer, gezellige moderne woonkeuken, praktische bijkeuken, vier slaapkamers en badkamer te bieden. Met vier bouwlagen van kelder tot en met zolder, is er genoeg ruimte voor zowel je woonwensen als voor praktische zaken. Als we achterom naar buitenlopen zien we direct de uitgestrekte tuin die grenst aan het Hellingbos, je waant je eigenlijk in het buitengebied en ervaart een heel aangename rust. Het grote terras met houten overkapping en het groene gazon, de gunstige zonligging op het zuiden en alle ruimte voor de kinderen om te spelen, je eigen moestuin of misschien wel een jacuzzi maken dit tot een object voor tuinliefhebbers. Het geheel is keurig verzorgd, een nieuwe eigenaar zal er een aangename plek vinden om je eigen thuis te realiseren. Centraal wonen aan de voorzijde, het buitengebied aan de achterzijde, een ruim bemeten woonhuis en dat vlakbij de kern van het dorp. Dat zijn mooie elementen van dit fijne en sfeervolle woonhuis, misschien wel jouw toekomstige woning.
Simpelveld noemt zichzelf graag “de poort van het Mergelland”. Dat is een terechte benaming, de woonplaats ligt precies waar Parkstad overgaat in het Heuvelland. Een hele prettige ligging aangezien uitvalswegen naar Maastricht, Aken en Eindhoven binnen enkele minuten bereikt zijn. De stad Heerlen met een ruim cultureel aanbod en het Zuyderland ziekenhuis ligt op korte afstand en ook het geliefde Heuvelland met eindeloze fiets- en wandelmogelijkheden is binnen handbereik. Simpelveld zelf heeft ook veel te bieden, zo is er een centrumplan ontwikkeld met een uitgebreid voorzieningenaanbod met onder meer supermarkten, bakker, slager, speciaalzaken, kledingwinkels en medische voorzieningen. Er mag dan ook met recht van een gezellig centrum gesproken worden. Samenvattend: heerlijk wonen in een rustige woonomgeving met voorzieningen en praktische zaken in de nabijheid, maar ook de unieke natuur van Zuid Limburg aan je voeten.
Bijzonderheden
- Grotendeels voorzien van aluminium kozijnen, deels kunststoffen kozijnen, dubbele beglazing (deels HR)
- HR combi CV installatie, Nefit, installatiejaar 2014, huur (de huurovereenkomst wordt overgedragen aan de koper)
- Airconditioning (warmen en koelen) op zolderslaapkamer, installatiejaar 2024, eigendom
- Rolluiken geplaatst in 2021 (elektrische bediening in woonkamer en slaapkamers)
- Houten tuinhuis, meerdere terrassen (waarvan een met houten overkapping) in de tuin
- Aanvaarding in overleg
Globale indeling
Souterrain
Kelder
Begane grond
Entree, hal voorzien van tegelvloer, trapopgang, meterkast
Woonkamer met eet- en zitgedeelte, parketvloer
Woonkeuken voorzien van siergrindvloer, aanbouwinstallatie met de volgende apparatuur: combi oven, koelkast, vaatwasser, gaskookplaat en RVS afzuigkap
Bijkeuken voorzien van tegelvloer, enkele deur naar de tuin, aanrechtblok, witgoedaansluiting. Toilet voorzien van hangend closet en fontein.
Eerste verdieping
Overloop, muurkast, vloerbedekking
Slaapkamer I voorzien van planken vloer
Slaapkamer II voorzien van planken vloer
Badkamer met dubbele wastafel, douche en hangend toilet
Tweede verdieping
Via vaste trap bereikbare zolderverdieping
Slaapkamer III, nu in gebruik als werkkamer, vloerbedekking en dakraam
Slaapkamer IV laminaatvloer, dakraam en airconditioning
Bergzolder met CV installatie
Simpelveld noemt zichzelf graag “de poort van het Mergelland”. Dat is een terechte benaming, de woonplaats ligt precies waar Parkstad overgaat in het Heuvelland. Een hele prettige ligging aangezien uitvalswegen naar Maastricht, Aken en Eindhoven binnen enkele minuten bereikt zijn. De stad Heerlen met een ruim cultureel aanbod en het Zuyderland ziekenhuis ligt op korte afstand en ook het geliefde Heuvelland met eindeloze fiets- en wandelmogelijkheden is binnen handbereik. Simpelveld zelf heeft ook veel te bieden, zo is er een centrumplan ontwikkeld met een uitgebreid voorzieningenaanbod met onder meer supermarkten, bakker, slager, speciaalzaken, kledingwinkels en medische voorzieningen. Er mag dan ook met recht van een gezellig centrum gesproken worden. Samenvattend: heerlijk wonen in een rustige woonomgeving met voorzieningen en praktische zaken in de nabijheid, maar ook de unieke natuur van Zuid Limburg aan je voeten.
Bijzonderheden
- Grotendeels voorzien van aluminium kozijnen, deels kunststoffen kozijnen, dubbele beglazing (deels HR)
- HR combi CV installatie, Nefit, installatiejaar 2014, huur (de huurovereenkomst wordt overgedragen aan de koper)
- Airconditioning (warmen en koelen) op zolderslaapkamer, installatiejaar 2024, eigendom
- Rolluiken geplaatst in 2021 (elektrische bediening in woonkamer en slaapkamers)
- Houten tuinhuis, meerdere terrassen (waarvan een met houten overkapping) in de tuin
- Aanvaarding in overleg
Globale indeling
Souterrain
Kelder
Begane grond
Entree, hal voorzien van tegelvloer, trapopgang, meterkast
Woonkamer met eet- en zitgedeelte, parketvloer
Woonkeuken voorzien van siergrindvloer, aanbouwinstallatie met de volgende apparatuur: combi oven, koelkast, vaatwasser, gaskookplaat en RVS afzuigkap
Bijkeuken voorzien van tegelvloer, enkele deur naar de tuin, aanrechtblok, witgoedaansluiting. Toilet voorzien van hangend closet en fontein.
Eerste verdieping
Overloop, muurkast, vloerbedekking
Slaapkamer I voorzien van planken vloer
Slaapkamer II voorzien van planken vloer
Badkamer met dubbele wastafel, douche en hangend toilet
Tweede verdieping
Via vaste trap bereikbare zolderverdieping
Slaapkamer III, nu in gebruik als werkkamer, vloerbedekking en dakraam
Slaapkamer IV laminaatvloer, dakraam en airconditioning
Bergzolder met CV installatie