Met een eigen account kun je panden volgen, opslaan als favoriet, je zoekprofiel opslaan en jouw eigen notities bij een huis maken.
Algemeen
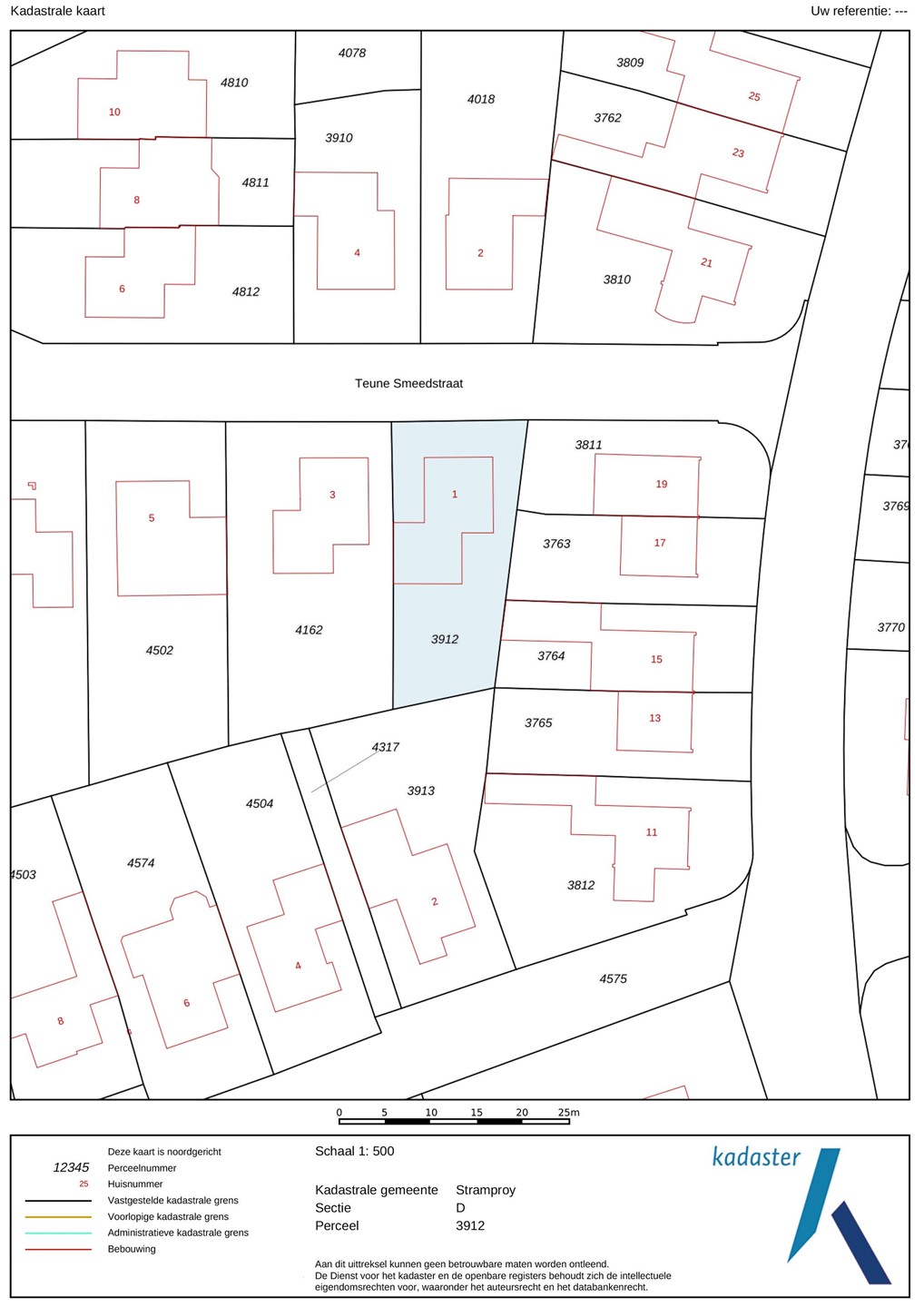
Teune Smeedstraat 1, Stramproy
Op een rustige en geliefde locatie in Stramproy ligt deze vrijstaande woning aan de Teune Smeedstraat 1. Een fijne plek waar comfort, ruimte en energiezuinig wonen samenkomen. De woning is netjes onderhouden, beschikt over vier slaapkamers, een ruime woonkamer, moderne keuken, praktische bijkeuken en een aanpandige garage met carport. De fraai aangelegde voortu... Meer informatie
Op een rustige en geliefde locatie in Stramproy ligt deze vrijstaande woning aan de Teune Smeedstraat 1. Een fijne plek waar comfort, ruimte en energiezuinig wonen samenkomen. De woning is netjes onderhouden, beschikt over vier slaapkamers, een ruime woonkamer, moderne keuken, praktische bijkeuken en een aanpandige garage met carport. De fraai aangelegde voortu... Meer informatie
-
Kenmerken
Alle kenmerken Type object Woonhuis, eengezinswoning, vrijstaande woning Bouwjaar 1975 Aangeboden sinds Woensdag 17 september 2025 -
Locatie
Kenmerken
| Overdracht | |
|---|---|
| Referentienummer | 62677/9471062 |
| Vraagprijs | € 495.000,- k.k. |
| Aanvaarding | In overleg |
| Aangeboden sinds | Woensdag 17 september 2025 |
| Laatste wijziging | Vrijdag 24 april 2026 |
| Bouw | |
|---|---|
| Type object | Woonhuis, eengezinswoning, vrijstaande woning |
| Soort bouw | Bestaande bouw |
| Bouwjaar | 1975 |
| Type dak | Zadeldak |
| Isolatievormen | Volledig geïsoleerd |
| Oppervlaktes en inhoud | |
|---|---|
| Perceeloppervlakte | 390 m² |
| Woonoppervlakte | 150 m² |
| Inhoud | 625 m³ |
| Oppervlakte gebouwgebonden buitenruimte | 15 m² |
| Indeling | |
|---|---|
| Aantal bouwlagen | 3 |
| Aantal kamers | 5 (waarvan 4 slaapkamers) |
| Locatie | |
|---|---|
| Ligging | In woonwijk |
| Tuin | |
|---|---|
| Type | Achtertuin |
| Hoofdtuin | Ja |
| Oriëntering | Zuiden |
| Heeft een achterom | Ja |
| Staat | Normaal |
| Energieverbruik | |
|---|---|
| Energielabel | A |
| Uitrusting | |
|---|---|
| Warm water | CV-ketel |
| Badkamervoorzieningen | Douche, Dubbele wastafel, Ligbad, Toilet |
| Parkeergelegenheid | Aangebouwde stenen garage |
| Heeft airco | Ja |
| Heeft een rookkanaal | Ja |
| Tuin aanwezig | Ja |
| Heeft een garage | Ja |
| Heeft rolluiken | Ja |
| Heeft schuur/berging | Ja |
| Heeft een schuifpui | Ja |
Beschrijving
Teune Smeedstraat 1, Stramproy
Op een rustige en geliefde locatie in Stramproy ligt deze vrijstaande woning aan de Teune Smeedstraat 1. Een fijne plek waar comfort, ruimte en energiezuinig wonen samenkomen. De woning is netjes onderhouden, beschikt over vier slaapkamers, een ruime woonkamer, moderne keuken, praktische bijkeuken en een aanpandige garage met carport. De fraai aangelegde voortuin met cortenstalen plantenbakken, verlichting (2025) en een laadpaal (2019) geeft de woning direct een verzorgde en eigentijdse uitstraling. Voorzieningen, natuur en uitvalswegen liggen op korte afstand, terwijl de straat zelf een rustige woonomgeving biedt.
Dankzij de recente verduurzamingen is de woning energiezuinig en voorzien van energielabel A.
Indeling
Begane grond
Via de oprit bereik je de entree aan de zijgevel. De ontvangsthal is voorzien van het toilet, de meterkast, de trapopgang en de deur naar de woonkamer. Een leuk detail is het raam in de hal waardoor je zicht hebt op de keuken een speels en uniek element.
De L?vormige woonkamer is sfeervol en praktisch ingedeeld, met een mooie laminaatvloer en diverse raampartijen voor daglicht. Er is ruimte voor een gezellige zithoek en een royale eethoek. De schuifpui naar de tuin zorgt voor een fijne verbinding met buiten. De woonkamer is uitgerust met een houtkachel, airco (2024) en infraroodpanelen, waardoor je op meerdere manieren comfortabel kunt verwarmen.
De keuken is ruim opgezet en modern uitgevoerd met hoogglans witte kasten en een bruin kunststof werkblad. De keuken beschikt over diverse inbouwapparatuur, waaronder een afzuigkap, close?in boiler, inductiekookplaat, koelkast en oven. Ook hier is een infraroodpaneel aanwezig voor verwarming.
Aansluitend bevindt zich de bijkeuken, voorzien van witgoedaansluitingen en voldoende ruimte voor extra kasten of een vriezer. Vanuit de bijkeuken is er toegang tot de tuin én tot de garage.
De garage is voorzien van elektra, water, de omvormer van de 20 zonnepanelen (2025) en een geïsoleerd dak. Een praktische ruimte voor opslag, hobby’s of het stallen van de auto of fietsen.
Eerste verdieping
Op de eerste verdieping bevinden zich drie ruime slaapkamers, allen voorzien van kunststof kozijnen met HR++ glas, rolluiken en raamhorren. De hoofdslaapkamer beschikt daarnaast over een airco (2024). Verder is een van de slaapkamers uitgerust met een vaste kast.
De en suite badkamer is netjes onderhouden en compleet ingericht met een douche, ligbad, toilet, bidet en twee wastafels. De grote raampartij zorgt voor veel lichtinval. Ook hier is een infraroodpaneel aanwezig voor verwarming.
Tweede verdieping
Via een vaste trap bereik je de tweede verdieping. Deze bestaat uit een voorzolder met bergruimte en stookruimte, en een vierde slaapkamer. In de stookruimte bevindt zich de Intergas Extreme HR?ketel in combinatie met een hybride warmtepomp van Elga (beide uit 2018). De slaapkamer is ruim en voorzien van een wastafel (koud water) en een kunststof kozijn met HR?glas. In 2025 zijn zowel het dak als het platte dak volledig vernieuwd en geïsoleerd.
Buitenruimte
De tuin ligt op het zuiden en is heerlijk zonnig. Er is een mooi terras aangelegd en meerdere gezellige zitplekken. Een fijne plek om te ontspannen en te genieten van privacy.
Bij zowel de voor- als achtergevel zijn buitenstopcontacten aanwezig.
Achter in de tuin staat een houten tuinhuis met elektra, ideaal voor opslag. Via een poort aan de zijkant is een praktische achterom gecreëerd.
De voortuin is in 2025 opnieuw aangelegd met drie cortenstalen plantenbakken, verlichting en een laadpaal. De oprit met carport biedt parkeergelegenheid op eigen terrein.
Bijzonderheden van deze woning:
- Vrijstaande woning op rustige locatie in Stramproy met energielabel A
- Fraai aangelegde voortuin (2025) met cortenstalen plantenbakken, verlichting en laadpaal
- L?vormige woonkamer met houtkachel, airco (2024) en infraroodpanelen
- Moderne keuken met diverse inbouwapparatuur
- Bijkeuken met witgoedaansluitingen en toegang tot tuin en garage
- Drie ruime slaapkamers op de eerste verdieping, waarvan één met airco (2024)
- Nette badkamer met douche, ligbad, toilet, bidet en dubbele wastafel
- Vierde slaapkamer op de tweede verdieping
- Intergas Extreme HR?ketel + Elga hybride warmtepomp (2018)
- Dak en plat dak vernieuwd en geïsoleerd in 2025
- 20 zonnepanelen (2025)
- Zonnige tuin op het zuiden met tuinhuis en achterom
Op een rustige en geliefde locatie in Stramproy ligt deze vrijstaande woning aan de Teune Smeedstraat 1. Een fijne plek waar comfort, ruimte en energiezuinig wonen samenkomen. De woning is netjes onderhouden, beschikt over vier slaapkamers, een ruime woonkamer, moderne keuken, praktische bijkeuken en een aanpandige garage met carport. De fraai aangelegde voortuin met cortenstalen plantenbakken, verlichting (2025) en een laadpaal (2019) geeft de woning direct een verzorgde en eigentijdse uitstraling. Voorzieningen, natuur en uitvalswegen liggen op korte afstand, terwijl de straat zelf een rustige woonomgeving biedt.
Dankzij de recente verduurzamingen is de woning energiezuinig en voorzien van energielabel A.
Indeling
Begane grond
Via de oprit bereik je de entree aan de zijgevel. De ontvangsthal is voorzien van het toilet, de meterkast, de trapopgang en de deur naar de woonkamer. Een leuk detail is het raam in de hal waardoor je zicht hebt op de keuken een speels en uniek element.
De L?vormige woonkamer is sfeervol en praktisch ingedeeld, met een mooie laminaatvloer en diverse raampartijen voor daglicht. Er is ruimte voor een gezellige zithoek en een royale eethoek. De schuifpui naar de tuin zorgt voor een fijne verbinding met buiten. De woonkamer is uitgerust met een houtkachel, airco (2024) en infraroodpanelen, waardoor je op meerdere manieren comfortabel kunt verwarmen.
De keuken is ruim opgezet en modern uitgevoerd met hoogglans witte kasten en een bruin kunststof werkblad. De keuken beschikt over diverse inbouwapparatuur, waaronder een afzuigkap, close?in boiler, inductiekookplaat, koelkast en oven. Ook hier is een infraroodpaneel aanwezig voor verwarming.
Aansluitend bevindt zich de bijkeuken, voorzien van witgoedaansluitingen en voldoende ruimte voor extra kasten of een vriezer. Vanuit de bijkeuken is er toegang tot de tuin én tot de garage.
De garage is voorzien van elektra, water, de omvormer van de 20 zonnepanelen (2025) en een geïsoleerd dak. Een praktische ruimte voor opslag, hobby’s of het stallen van de auto of fietsen.
Eerste verdieping
Op de eerste verdieping bevinden zich drie ruime slaapkamers, allen voorzien van kunststof kozijnen met HR++ glas, rolluiken en raamhorren. De hoofdslaapkamer beschikt daarnaast over een airco (2024). Verder is een van de slaapkamers uitgerust met een vaste kast.
De en suite badkamer is netjes onderhouden en compleet ingericht met een douche, ligbad, toilet, bidet en twee wastafels. De grote raampartij zorgt voor veel lichtinval. Ook hier is een infraroodpaneel aanwezig voor verwarming.
Tweede verdieping
Via een vaste trap bereik je de tweede verdieping. Deze bestaat uit een voorzolder met bergruimte en stookruimte, en een vierde slaapkamer. In de stookruimte bevindt zich de Intergas Extreme HR?ketel in combinatie met een hybride warmtepomp van Elga (beide uit 2018). De slaapkamer is ruim en voorzien van een wastafel (koud water) en een kunststof kozijn met HR?glas. In 2025 zijn zowel het dak als het platte dak volledig vernieuwd en geïsoleerd.
Buitenruimte
De tuin ligt op het zuiden en is heerlijk zonnig. Er is een mooi terras aangelegd en meerdere gezellige zitplekken. Een fijne plek om te ontspannen en te genieten van privacy.
Bij zowel de voor- als achtergevel zijn buitenstopcontacten aanwezig.
Achter in de tuin staat een houten tuinhuis met elektra, ideaal voor opslag. Via een poort aan de zijkant is een praktische achterom gecreëerd.
De voortuin is in 2025 opnieuw aangelegd met drie cortenstalen plantenbakken, verlichting en een laadpaal. De oprit met carport biedt parkeergelegenheid op eigen terrein.
Bijzonderheden van deze woning:
- Vrijstaande woning op rustige locatie in Stramproy met energielabel A
- Fraai aangelegde voortuin (2025) met cortenstalen plantenbakken, verlichting en laadpaal
- L?vormige woonkamer met houtkachel, airco (2024) en infraroodpanelen
- Moderne keuken met diverse inbouwapparatuur
- Bijkeuken met witgoedaansluitingen en toegang tot tuin en garage
- Drie ruime slaapkamers op de eerste verdieping, waarvan één met airco (2024)
- Nette badkamer met douche, ligbad, toilet, bidet en dubbele wastafel
- Vierde slaapkamer op de tweede verdieping
- Intergas Extreme HR?ketel + Elga hybride warmtepomp (2018)
- Dak en plat dak vernieuwd en geïsoleerd in 2025
- 20 zonnepanelen (2025)
- Zonnige tuin op het zuiden met tuinhuis en achterom