Met een eigen account kun je panden volgen, opslaan als favoriet, je zoekprofiel opslaan en jouw eigen notities bij een huis maken.
Algemeen
In de kern van Bergdorpje Vijlen, aan de start van wandelroutes maar ook op dichte afstand van uitvalswegen, ligt deze knusse en goed verzorgde tweekapper met leuke uitstraling. In de afgelopen jaren is dit keurige woonhuis op diverse onderdelen onderhouden en verbeterd. De woning heeft een lichte woonkamer, gesloten keuken en moderne badkamer op de begane grond. De eerste verdieping telt drie... Meer informatie
-
Kenmerken
Alle kenmerken Type object Eengezinswoning, woonhuis, twee onder een kap woning Bouwjaar 1950 Status Verkocht onder voorbehoud Aangeboden sinds Donderdag 30 april 2026 -
Locatie
Kenmerken
| Overdracht | |
|---|---|
| Vraagprijs | € 298.000,- k.k. |
| Status | Verkocht onder voorbehoud |
| Aanvaarding | In overleg |
| Aangeboden sinds | Donderdag 30 april 2026 |
| Bouw | |
|---|---|
| Type object | Eengezinswoning, woonhuis, twee onder een kap woning |
| Soort bouw | Bestaande bouw |
| Bouwjaar | 1950 |
| Dakbedekking | Dakpannen |
| Type dak | Zadeldak |
| Isolatievormen | Dakisolatie, Vloerisolatie |
| Oppervlaktes en inhoud | |
|---|---|
| Perceeloppervlakte | 280 m² |
| Woonoppervlakte | 73 m² |
| Woonkameroppervlakte | 20 m² |
| Inhoud | 309 m³ |
| Oppervlakte overige inpandige ruimten | 9 m² |
| Oppervlakte externe bergruimte | 26 m² |
| Tuinoppervlakte | 240 m² |
| Indeling | |
|---|---|
| Aantal bouwlagen | 3 (en 1 kelder) |
| Aantal kamers | 4 (waarvan 3 slaapkamers) |
| Locatie | |
|---|---|
| Ligging | In bosrijke omgeving, In centrum, Platteland |
| Tuin | |
|---|---|
| Type | Achtertuin |
| Hoofdtuin | Ja |
| Oriëntering | Oosten |
| Heeft een achterom | Ja |
| Staat | Goed onderhouden |
| Tuin 2 - Type | Achtertuin |
| Tuin 2 - Staat | Goed onderhouden |
| Tuin 3 - Type | Voortuin |
| Tuin 3 - Staat | Goed onderhouden |
| Energieverbruik | |
|---|---|
| Energielabel | E |
| CV ketel | |
|---|---|
| CV ketel | Remeha Avanta |
| Warmtebron | Gas |
| Bouwjaar | 2015 |
| Combiketel | Ja |
| Eigendom | Eigendom |
| Uitrusting | |
|---|---|
| Aantal parkeerplaatsen | 2 |
| Warm water | CV-ketel |
| Verwarmingssysteem | Centrale verwarming |
| Badkamervoorzieningen | Inloopdouche, Wastafelmeubel |
| Tuin aanwezig | Ja |
| Heeft ventilatie | Ja |
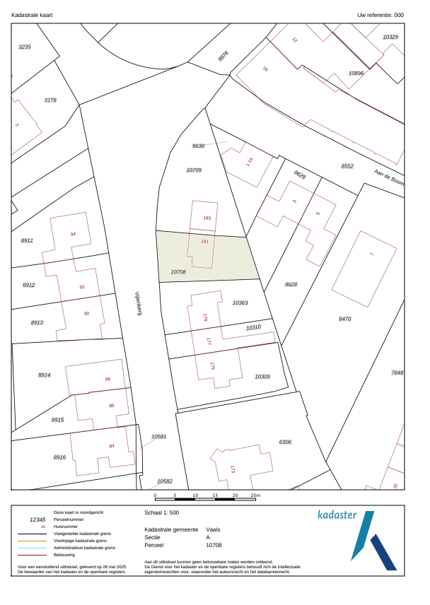
| Kadastrale gegevens | |
|---|---|
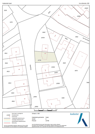
| Kadastrale aanduiding | Vaals A 10708 |
| Perceeloppervlakte | 280 m² |
| Omvang | Geheel perceel |
| Eigendomsituatie | Eigen grond |
Beschrijving
In de kern van Bergdorpje Vijlen, aan de start van wandelroutes maar ook op dichte afstand van uitvalswegen, ligt deze knusse en goed verzorgde tweekapper met leuke uitstraling. In de afgelopen jaren is dit keurige woonhuis op diverse onderdelen onderhouden en verbeterd. De woning heeft een lichte woonkamer, gesloten keuken en moderne badkamer op de begane grond. De eerste verdieping telt drie slaapkamers en een tweede toilet. De zolder is via vaste trap bereikbaar, ook is er een handige kelder. Met een ruim perceel van 280 m2 is er genoeg buitenruimte, een lange oprit met ruime parkeergelegenheid, een functionele garage en een besloten achtertuin maken het plaatje compleet.
Vijlen staat bekend als Bergdorpje, het ligt namelijk 200 meter boven NAP en daardoor is Vijlen het hoogst gelegen dorp van Nederland. Daarbovenop heeft het ook nog eens de hoogst gelegen kerktoren, de top van de toren ligt op 242 meter boven NAP en is dan ook een herkenningspunt in de wijde omgeving. Vijlen is vooral ook een heel prettig dorp om te wonen met basisvoorzieningen in het dorp waaronder een basisschool, buurtwinkel en bakker. Een groter aanbod voorzieningen is in het nabij gelegen Vaals aanwezig. De combinatie van rust, natuur, basisvoorzieningen en de gunstige ligging ten opzichte van uitvalswegen maakt Vijlen tot een aantrekkelijke plek om te wonen.
Bijzonderheden
- Het dak van de woning is in 2016 vernieuwd en geïsoleerd
- De woning is voorzien van houten kozijnen met dubbele en enkele beglazing, de woonkamer heeft dubbele HR++ beglazing
- Het pand heeft rolluiken aan de achterzijde
- CV- installatie Remeha Avanta, bouwjaar 2015, eigendom
- Energielabel E, na afgifte van het energielabel is de woonkamer nog voorzien van vloerisolatie en dubbele HR++ beglazing
- Aanvaarding in overleg
Globale indeling
Souterrain
Provisiekelder
Begane grond
Entree, hal voorzien van plavuizen vloer, meterkast en trapopgang
L-vormige woonkamer voorzien van laminaatvloer
Gesloten keuken voorzien tegelvloer, enkele deur naar de tuin. Aanbouwinstallatie met de volgende inbouwapparatuur: 4-pits gaskookplaat, koelkast, oven, vaatwasser, RVS-afzuiging
Badkamer voorzien van inloopdouche, wastafelmeubel en witgoedaansluitingen, CV installatie
Toilet voorzien van staand closet
Eerste verdieping
Overloop voorzien van vloerbedekking
Slaapkamer I met muurkast
Slaapkamer II
Slaapkamer III
De slaapkamers zijn voorzien van een laminaatvloer
Volledig betegeld toilet voorzien van staand toilet (sanibroyeur) en wastafel
Tweede verdieping
Per vaste trap bereikbare bergzolder
Extern
Garage voorzien van kantelpoort, met vliering
Vijlen staat bekend als Bergdorpje, het ligt namelijk 200 meter boven NAP en daardoor is Vijlen het hoogst gelegen dorp van Nederland. Daarbovenop heeft het ook nog eens de hoogst gelegen kerktoren, de top van de toren ligt op 242 meter boven NAP en is dan ook een herkenningspunt in de wijde omgeving. Vijlen is vooral ook een heel prettig dorp om te wonen met basisvoorzieningen in het dorp waaronder een basisschool, buurtwinkel en bakker. Een groter aanbod voorzieningen is in het nabij gelegen Vaals aanwezig. De combinatie van rust, natuur, basisvoorzieningen en de gunstige ligging ten opzichte van uitvalswegen maakt Vijlen tot een aantrekkelijke plek om te wonen.
Bijzonderheden
- Het dak van de woning is in 2016 vernieuwd en geïsoleerd
- De woning is voorzien van houten kozijnen met dubbele en enkele beglazing, de woonkamer heeft dubbele HR++ beglazing
- Het pand heeft rolluiken aan de achterzijde
- CV- installatie Remeha Avanta, bouwjaar 2015, eigendom
- Energielabel E, na afgifte van het energielabel is de woonkamer nog voorzien van vloerisolatie en dubbele HR++ beglazing
- Aanvaarding in overleg
Globale indeling
Souterrain
Provisiekelder
Begane grond
Entree, hal voorzien van plavuizen vloer, meterkast en trapopgang
L-vormige woonkamer voorzien van laminaatvloer
Gesloten keuken voorzien tegelvloer, enkele deur naar de tuin. Aanbouwinstallatie met de volgende inbouwapparatuur: 4-pits gaskookplaat, koelkast, oven, vaatwasser, RVS-afzuiging
Badkamer voorzien van inloopdouche, wastafelmeubel en witgoedaansluitingen, CV installatie
Toilet voorzien van staand closet
Eerste verdieping
Overloop voorzien van vloerbedekking
Slaapkamer I met muurkast
Slaapkamer II
Slaapkamer III
De slaapkamers zijn voorzien van een laminaatvloer
Volledig betegeld toilet voorzien van staand toilet (sanibroyeur) en wastafel
Tweede verdieping
Per vaste trap bereikbare bergzolder
Extern
Garage voorzien van kantelpoort, met vliering