Nieuw in verkoop

Te koop: Hogenakkerstraat 3, 6002 BB Weert

€ 385.000,- k.k.
€ 3.318,97/m2
Type object Woonhuis, eengezinswoning, tussenwoning
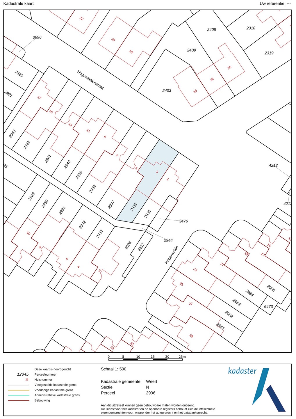
Perceeloppervlakte 191 m²
Woonoppervlakte 116 m²
Aanvaarding In overleg
Status Nieuw in verkoop

Notitie

Algemeen

Deze verzorgde tussenwoning ligt in een rustige en kindvriendelijke woonomgeving in Weert, met diverse voorzieningen zoals een basisschool, supermarkt, bakker en sportverenigingen op korte afstand. De woning biedt een fijne combinatie van sfeer, praktische indeling en modern wooncomfort. Met een sfeervolle woonkamer, halfopen keuken, drie slaapkamers, vernieuwde badkamer, ruime berging en een z... Meer informatie
  • Kenmerken

    Alle kenmerken
    Type object Woonhuis, eengezinswoning, tussenwoning
    Bouwjaar 1975
    Status Nieuw in verkoop
    Aangeboden sinds Vrijdag 13 maart 2026
  • Locatie

Kenmerken

Overdracht
Referentienummer 62677/10066000
Vraagprijs € 385.000,- k.k.
Status Nieuw in verkoop
Aanvaarding In overleg
Aangeboden sinds Vrijdag 13 maart 2026
Laatste wijziging Vrijdag 27 maart 2026
Bouw
Type object Woonhuis, eengezinswoning, tussenwoning
Soort bouw Bestaande bouw
Bouwjaar 1975
Type dak Zadeldak
Isolatievormen Dakisolatie, Dubbel glas, Muurisolatie
Oppervlaktes en inhoud
Perceeloppervlakte 191 m²
Woonoppervlakte 116 m²
Inhoud 512 m³
Indeling
Aantal bouwlagen 2
Aantal kamers 4 (waarvan 3 slaapkamers)
Locatie
Ligging Aan rustige weg
Tuin
Type Achtertuin
Hoofdtuin Ja
Oriëntering Zuid-west
Heeft een achterom Ja
Staat Goed onderhouden
Energieverbruik
Energielabel C
Uitrusting
Warm water CV-ketel
Badkamervoorzieningen Douche, Ligbad, Toilet, Wastafel, Wastafelmeubel
Heeft kabel-tv Ja
Tuin aanwezig Ja
Heeft rolluiken Ja
Heeft schuur/berging Ja
Heeft een dakraam Ja
Heeft een schuifpui Ja
Heeft zonwering Ja
Heeft ventilatie Ja

Beschrijving

Deze verzorgde tussenwoning ligt in een rustige en kindvriendelijke woonomgeving in Weert, met diverse voorzieningen zoals een basisschool, supermarkt, bakker en sportverenigingen op korte afstand. De woning biedt een fijne combinatie van sfeer, praktische indeling en modern wooncomfort. Met een sfeervolle woonkamer, halfopen keuken, drie slaapkamers, vernieuwde badkamer, ruime berging en een zonnige achtertuin is dit een ideale woning voor starters, jonge gezinnen of doorstromers.

Dankzij de grote oprit, dubbele beglazing met horren, rolluiken en een energiezuinige cv-ketel is dit een woning die direct prettig aanvoelt en klaar is voor jarenlang woonplezier.

Indeling

Begane grond

Via de ruime oprit bereik je de entree van de woning. De ontvangsthal is praktisch ingedeeld en voorzien van een apart toilet met fontein en mechanische afzuiging. Vanuit de hal zijn de woonkamer en de trapopgang naar de eerste verdieping bereikbaar.

De sfeervolle woonkamer is licht en ruim dankzij de grote raampartijen aan zowel de voor- als achterzijde. De schuifpui met hordeur biedt directe toegang tot de zonnige achtertuin en zorgt voor een fijne verbinding tussen binnen en buiten.

De halfopen keuken is uitgevoerd met een granieten werkblad en voorzien van diverse inbouwapparatuur, waaronder een 5-pits gasfornuis met wokbrander, afzuigkap, vaatwasser en combi-oven. Direct naast de keuken bevindt zich een praktische provisieruimte, ideaal voor extra opslag. Hier bevindt zich ook de toegang tot de droge kruipruimte.

Eerste verdieping

Op de eerste verdieping bevinden zich drie slaapkamers, waarvan twee kamers zijn uitgerust met een handige (opberg)vliering. De kamers zijn licht en praktisch ingedeeld, geschikt als slaap-, werk- of kinderkamer. Alle ramen zijn voorzien van horren en rolluiken, waarvan een rolluik elektrisch bedienbaar is.

De vernieuwde badkamer (2022) is modern afgewerkt en voorzien van een ligbad, douche met regendouche, wastafel met meubel, designradiator en toilet. Een comfortabele en complete ruimte met een moderne uitstraling.

Op deze verdieping bevinden zich ook twee muurkasten die uitstekend geschikt zijn als extra opbergruimte. In één van deze kasten is de Nefit Trendline cv-ketel (bouwjaar 2020) geplaatst.

Buitenruimte

De vernieuwde achtertuin (2022) is onderhoudsvriendelijk aangelegd met kunstgras. Dankzij de gunstige zonligging is het hier heerlijk genieten. De tuin is ook voorzien van een praktische achterom. De ruime oprit aan de voorzijde biedt plaats aan meerdere voertuigen. Voor de woning ligt een stenen berging, voorzien van elektra, water, verwarming en een handige vliering. Hier zijn ook de witgoedaansluitingen geplaatst.

Bijzonderheden van deze woning:

- Rustige, kindvriendelijke ligging nabij basisschool, supermarkt, bakker, sportverenigingen en speeltuin
- Sfeervolle woonkamer met schuifpui en hordeur
- Halfopen keuken met granieten werkblad, diverse inbouwapparatuur en praktische provisieruimte
- Achtertuin met kunstgras en achterom
- Drie slaapkamers, waarvan twee met (opberg)vliering
- Vernieuwde badkamer met ligbad, regendouche, wastafelmeubel, toilet en designradiator
- Aanpandige stenen berging met elektra, water, vliering en witgoedaansluitingen
- Grote oprit voor meerdere voertuigen
- Dubbele beglazing met horren en (elektrische) rolluiken
- Nefit Trendline cv-ketel uit 2020

Brochure(s) en overige bijlagen

Sluiten

Recent bekeken