Met een eigen account kun je panden volgen, opslaan als favoriet, je zoekprofiel opslaan en jouw eigen notities bij een huis maken.
Algemeen
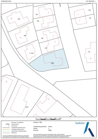
Klavertje 1, Weert
Een royale vrijstaande villa met volledig gelijkvloers programma
Deze prachtige villa is met veel zorg en liefde gebouwd door de huidige eigenaar, ook aannemer. Sinds 2011 is de woning op traditionele wijze en met hoogwaardige materialen gerealiseerd, met oog voor luxe en duurzaamheid.
Gelegen in de eerste, en volgens velen mooiste, fase van de nieuwbouwwijk Laarvel... Meer informatie
Een royale vrijstaande villa met volledig gelijkvloers programma
Deze prachtige villa is met veel zorg en liefde gebouwd door de huidige eigenaar, ook aannemer. Sinds 2011 is de woning op traditionele wijze en met hoogwaardige materialen gerealiseerd, met oog voor luxe en duurzaamheid.
Gelegen in de eerste, en volgens velen mooiste, fase van de nieuwbouwwijk Laarvel... Meer informatie
-
Kenmerken
Alle kenmerken Type object Woonhuis, villa, vrijstaande woning Bouwjaar 2011 Aangeboden sinds Woensdag 2 april 2025 -
Locatie
Kenmerken
| Overdracht | |
|---|---|
| Referentienummer | 62677/8961327 |
| Prijs | Prijs op aanvraag |
| Aanvaarding | In overleg |
| Aangeboden sinds | Woensdag 2 april 2025 |
| Laatste wijziging | Vrijdag 24 oktober 2025 |
| Bouw | |
|---|---|
| Type object | Woonhuis, villa, vrijstaande woning |
| Soort bouw | Bestaande bouw |
| Bouwjaar | 2011 |
| Type dak | Samengesteld |
| Isolatievormen | Volledig geïsoleerd |
| Oppervlaktes en inhoud | |
|---|---|
| Perceeloppervlakte | 600 m² |
| Woonoppervlakte | 188 m² |
| Inhoud | 831 m³ |
| Oppervlakte gebouwgebonden buitenruimte | 40 m² |
| Indeling | |
|---|---|
| Aantal bouwlagen | 3 |
| Aantal kamers | 5 (waarvan 3 slaapkamers) |
| Locatie | |
|---|---|
| Ligging | In woonwijk |
| Tuin | |
|---|---|
| Type | Achtertuin |
| Hoofdtuin | Ja |
| Oriëntering | West |
| Staat | Aangelegd onder architectuur |
| Energieverbruik | |
|---|---|
| Energielabel | A |
| Uitrusting | |
|---|---|
| Warm water | CV-ketel |
| Badkamervoorzieningen Badkamer 1 | Inloopdouche, Toilet, Wastafelmeubel |
| Badkamervoorzieningen Badkamer 2 | Dubbele wastafel, Inloopdouche, Ligbad, Wastafelmeubel |
| Parkeergelegenheid | Inpandige garage |
| Heeft een rookkanaal | Ja |
| Tuin aanwezig | Ja |
| Heeft een garage | Ja |
| Heeft een dakraam | Ja |
| Heeft een schuifpui | Ja |
| Heeft ventilatie | Ja |
Beschrijving
Klavertje 1, Weert
Een royale vrijstaande villa met volledig gelijkvloers programma
Deze prachtige villa is met veel zorg en liefde gebouwd door de huidige eigenaar, ook aannemer. Sinds 2011 is de woning op traditionele wijze en met hoogwaardige materialen gerealiseerd, met oog voor luxe en duurzaamheid.
Gelegen in de eerste, en volgens velen mooiste, fase van de nieuwbouwwijk Laarveld, aan een rustige bestemmingsweg met veel groen aan de overzijde. De ligging is ideaal: met snelle verbindingen naar de Eindhovenseweg en de A2, en via de nabijgelegen Hushoverweg is het centrum van Weert binnen enkele minuten bereikbaar.
De woning is vanaf de bouw volledig geïsoleerd en voorzien van hardhouten kozijnen met HR++ glas. Op de begane grond is comfortabele vloerverwarming aanwezig. De stijlvolle rieten kap maakt het geheel compleet.
Indeling
Begane grond
De entree bevindt zich aan de voorzijde van de villa. Rechts van de entree ligt een brede oprit met carport, en daarnaast een achterom met poort. Via de royale en lichte ontvangsthal, met uitgebreide meterkast en toiletruimte, valt direct de open trap op.
Dubbele glazen deuren geven toegang tot de ruime woonkamer met erker en grote raampartijen aan de zuidzijde, waardoor de leefruimte baadt in natuurlijk licht en een warme sfeer uitstraalt.
Aansluitend bevindt zich de open keuken met royaal werkblad en een matzwarte achterwand voorzien van diverse inbouwapparatuur. De keuken is greeploos uitgevoerd in hoogglans witte fronten, met een licht geaderd hardstenen werkblad, vlak ingebouwde rvs-spoelbak en een gas-op-glas kookplaat met wokbrander. De keuken is compleet uitgerust met combi-oven, magnetron, koffiezetapparaat, koel- en vrieskast, vaatwasser en een afzuigkap geïntegreerd in de bovenkoof.
Achter de keuken ligt een praktische bijkeuken, inclusief aansluitingen voor witgoed, met doorgang naar de garage. Deze is voorzien van een extra spoelbak, de vloerverwarmingsinstallatie en cv-ketel. De garage is keurig betegeld, heeft een hardhouten poort en is strak afgewerkt.
Grenzend aan de keuken is een riante slaapkamer gesitueerd, met ensuite badkamer voorzien van inloopdouche met regendouche, wandcloset en dubbele wastafel met meubel. De afwerking is stijlvol, grijze tegels gecombineerd met strak wit stucwerk. Naast de badkamer bevindt zich een extra bergruimte met trap naar een bovenliggende kleedkamer, uitgerust met schuifwandkasten.
De begane grond is grotendeels afgewerkt met een moderne multiplankvloer in white-wash tint. Wanden en plafonds zijn strak wit gestuct, wat zorgt voor een rustige en ruimtelijke uitstraling.
Buitenruimte
De west georiënteerde tuin biedt optimale privacy, meerdere terrassen en een volwassen groene erfafscheiding. Vanuit zowel de woonkamer als de slaapkamer op de begane grond stap je direct het grote terras op. Daarnaast is er een extra buitenruimte in aanbouw, voorzien van stroom, warm/koud water en een BBQ-schoorsteen.
Eerste verdieping
De overloop en twee ruime slaapkamers zijn afgewerkt met een moderne gebroken witte vloer, zachte grijstinten op de wanden en witte dak- en plafondafwerking. De zuidelijk gelegen slaapkamer beschikt over een trap naar een extra zolderkamer.
De badkamer op deze verdieping is uitgevoerd in grijstinten, met witte dak- en plafondpanelen. De ruimte is compleet ingericht met een inloopdouche met regendouche, ligbad en een breed badkamermeubel met dubbele wastafel. Een comfortabel geheel!
Bijzonderheden van deze woning:
- Riante villa met rieten kap in de wijk Laarveld
- Volledig gelijkvloers woonprogramma
- Traditioneel en degelijk gebouwd
- Hardhouten buitenkozijnen met HR++ glas
- Uitstekende vloer-, muur- en dakisolatie
- Energielabel A
- Verdiepingsvloer uitgevoerd in beton
- Vloerverwarming op de begane grond
- Luxe inbouwkeuken met hoogwaardige apparatuur
- Uniek perceel van circa 600 m² met veel privacy
Een royale vrijstaande villa met volledig gelijkvloers programma
Deze prachtige villa is met veel zorg en liefde gebouwd door de huidige eigenaar, ook aannemer. Sinds 2011 is de woning op traditionele wijze en met hoogwaardige materialen gerealiseerd, met oog voor luxe en duurzaamheid.
Gelegen in de eerste, en volgens velen mooiste, fase van de nieuwbouwwijk Laarveld, aan een rustige bestemmingsweg met veel groen aan de overzijde. De ligging is ideaal: met snelle verbindingen naar de Eindhovenseweg en de A2, en via de nabijgelegen Hushoverweg is het centrum van Weert binnen enkele minuten bereikbaar.
De woning is vanaf de bouw volledig geïsoleerd en voorzien van hardhouten kozijnen met HR++ glas. Op de begane grond is comfortabele vloerverwarming aanwezig. De stijlvolle rieten kap maakt het geheel compleet.
Indeling
Begane grond
De entree bevindt zich aan de voorzijde van de villa. Rechts van de entree ligt een brede oprit met carport, en daarnaast een achterom met poort. Via de royale en lichte ontvangsthal, met uitgebreide meterkast en toiletruimte, valt direct de open trap op.
Dubbele glazen deuren geven toegang tot de ruime woonkamer met erker en grote raampartijen aan de zuidzijde, waardoor de leefruimte baadt in natuurlijk licht en een warme sfeer uitstraalt.
Aansluitend bevindt zich de open keuken met royaal werkblad en een matzwarte achterwand voorzien van diverse inbouwapparatuur. De keuken is greeploos uitgevoerd in hoogglans witte fronten, met een licht geaderd hardstenen werkblad, vlak ingebouwde rvs-spoelbak en een gas-op-glas kookplaat met wokbrander. De keuken is compleet uitgerust met combi-oven, magnetron, koffiezetapparaat, koel- en vrieskast, vaatwasser en een afzuigkap geïntegreerd in de bovenkoof.
Achter de keuken ligt een praktische bijkeuken, inclusief aansluitingen voor witgoed, met doorgang naar de garage. Deze is voorzien van een extra spoelbak, de vloerverwarmingsinstallatie en cv-ketel. De garage is keurig betegeld, heeft een hardhouten poort en is strak afgewerkt.
Grenzend aan de keuken is een riante slaapkamer gesitueerd, met ensuite badkamer voorzien van inloopdouche met regendouche, wandcloset en dubbele wastafel met meubel. De afwerking is stijlvol, grijze tegels gecombineerd met strak wit stucwerk. Naast de badkamer bevindt zich een extra bergruimte met trap naar een bovenliggende kleedkamer, uitgerust met schuifwandkasten.
De begane grond is grotendeels afgewerkt met een moderne multiplankvloer in white-wash tint. Wanden en plafonds zijn strak wit gestuct, wat zorgt voor een rustige en ruimtelijke uitstraling.
Buitenruimte
De west georiënteerde tuin biedt optimale privacy, meerdere terrassen en een volwassen groene erfafscheiding. Vanuit zowel de woonkamer als de slaapkamer op de begane grond stap je direct het grote terras op. Daarnaast is er een extra buitenruimte in aanbouw, voorzien van stroom, warm/koud water en een BBQ-schoorsteen.
Eerste verdieping
De overloop en twee ruime slaapkamers zijn afgewerkt met een moderne gebroken witte vloer, zachte grijstinten op de wanden en witte dak- en plafondafwerking. De zuidelijk gelegen slaapkamer beschikt over een trap naar een extra zolderkamer.
De badkamer op deze verdieping is uitgevoerd in grijstinten, met witte dak- en plafondpanelen. De ruimte is compleet ingericht met een inloopdouche met regendouche, ligbad en een breed badkamermeubel met dubbele wastafel. Een comfortabel geheel!
Bijzonderheden van deze woning:
- Riante villa met rieten kap in de wijk Laarveld
- Volledig gelijkvloers woonprogramma
- Traditioneel en degelijk gebouwd
- Hardhouten buitenkozijnen met HR++ glas
- Uitstekende vloer-, muur- en dakisolatie
- Energielabel A
- Verdiepingsvloer uitgevoerd in beton
- Vloerverwarming op de begane grond
- Luxe inbouwkeuken met hoogwaardige apparatuur
- Uniek perceel van circa 600 m² met veel privacy