Met een eigen account kun je panden volgen, opslaan als favoriet, je zoekprofiel opslaan en jouw eigen notities bij een huis maken.
Algemeen
Landelijk wonen met karakter, veel comfort en nog meer ruimte.
Aan de groene oostrand van Weert, verscholen tussen bomen, weilanden en rust, ligt deze unieke woonboerderij. Een plek waar landelijke charme en moderne luxe samenkomen. Deze woonboerderij is gelegen op een royaal perceel met een eigen oprijlaan, ruime carport en schitterend aangelegde tuin met zwemvijver. Aan de binnenzijde een... Meer informatie
Aan de groene oostrand van Weert, verscholen tussen bomen, weilanden en rust, ligt deze unieke woonboerderij. Een plek waar landelijke charme en moderne luxe samenkomen. Deze woonboerderij is gelegen op een royaal perceel met een eigen oprijlaan, ruime carport en schitterend aangelegde tuin met zwemvijver. Aan de binnenzijde een... Meer informatie
-
Kenmerken
Alle kenmerken Type object Woonhuis, woonboerderij, vrijstaande woning Bouwjaar 1915 Aangeboden sinds Donderdag 16 oktober 2025 -
Locatie
Kenmerken
| Overdracht | |
|---|---|
| Referentienummer | 62677/9583334 |
| Vraagprijs | € 1.250.000,- k.k. |
| Aanvaarding | In overleg |
| Aangeboden sinds | Donderdag 16 oktober 2025 |
| Laatste wijziging | Dinsdag 9 december 2025 |
| Bouw | |
|---|---|
| Type object | Woonhuis, woonboerderij, vrijstaande woning |
| Soort bouw | Bestaande bouw |
| Bouwjaar | 1915 |
| Type dak | Zadeldak |
| Isolatievormen | Dakisolatie, Muurisolatie, Vloerisolatie |
| Oppervlaktes en inhoud | |
|---|---|
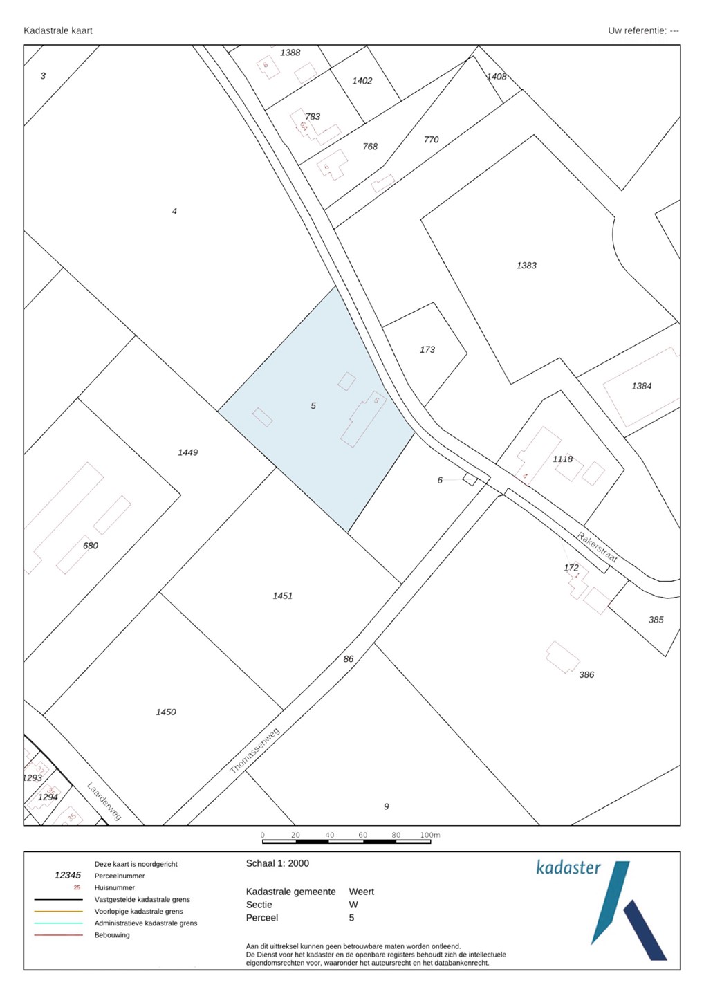
| Perceeloppervlakte | 8.000 m² |
| Woonoppervlakte | 427 m² |
| Inhoud | 1.832 m³ |
| Oppervlakte gebouwgebonden buitenruimte | 56 m² |
| Indeling | |
|---|---|
| Aantal bouwlagen | 3 |
| Aantal kamers | 7 (waarvan 5 slaapkamers) |
| Locatie | |
|---|---|
| Ligging | Open ligging, Vrij uitzicht |
| Tuin | |
|---|---|
| Type | Tuin rondom |
| Hoofdtuin | Ja |
| Heeft een achterom | Ja |
| Staat | Normaal |
| Energieverbruik | |
|---|---|
| Energielabel | C |
| Uitrusting | |
|---|---|
| Warm water | CV-ketel |
| Badkamervoorzieningen Badkamer 1 | Bidet, Dubbele wastafel, Inloopdouche, Toilet |
| Badkamervoorzieningen Badkamer 2 | Bidet, Dubbele wastafel, Inloopdouche, Ligbad, Toilet, Wastafelmeubel |
| Parkeergelegenheid | Inpandige garage |
| Heeft airco | Ja |
| Heeft een rookkanaal | Ja |
| Tuin aanwezig | Ja |
| Heeft een garage | Ja |
| Heeft schuur/berging | Ja |
| Heeft een dakraam | Ja |
Beschrijving
Landelijk wonen met karakter, veel comfort en nog meer ruimte.
Aan de groene oostrand van Weert, verscholen tussen bomen, weilanden en rust, ligt deze unieke woonboerderij. Een plek waar landelijke charme en moderne luxe samenkomen. Deze woonboerderij is gelegen op een royaal perceel met een eigen oprijlaan, ruime carport en schitterend aangelegde tuin met zwemvijver. Aan de binnenzijde een stijlvol interieur met hoogwaardige afwerking, warme huiselijke tinten qua materiaalgebruik en verrassend veel leefruimte en eventuele werkruimte.
Indeling
Begane grond
Via de ruime hal met karakteristieke trapopgang en stijlvolle tegelvloer zijn de verschillende leefruimtes bereikbaar. De woonkamer is sfeervol ingericht met een pelletkachel, grote raampartijen en een prachtig uitzicht over het vele groen rondom. De leefkeuken is een ware eyecatcher: v.v. een groot kookeiland, moderne inbouwapparatuur met o.a een Quooker, stoomoven, koffiemachine, extra grote koelkast met extra grote diepvries, vaatwasser, inductiekookplaat en een opvallende wanddecoratie met landelijke print.
De begane grond beschikt over een riante multifunctionele ruimte die gebruikt kan worden als groot thuiskantoor, thuisgym en/of ontspanningsruimte. Deze ruimte is compleet uitgevoerd met airco, evt. toilet, pooltafel, zithoek én eigen kitchenette. De kitchenette is v.v. een Quooker, koelkast, vaatwasser. Ook is er een praktische bijkeuken met een nog een extra grote koelkast en vriezer, wasautomaat-aansluiting en extra bergruimte.
Eerste verdieping
Op de eerste verdieping bevinden zich vijf slaapkamers, elk in een fijne sfeer afgewerkt. De master bedroom is ruim en licht, met airco, eigen kleedkamer en directe toegang tot de badkamer. Deze is uitgerust met een vrijstaand bad, dubbele wastafel, inloopdouche met sunshower, toilet en bidet, alles afgewerkt met landelijke stijl.
De tweede badkamer is uitgerust in dezelfde stijl met inloopdouche, 2 wastafels, toilet en bidet.
Een aparte ruimte die de hoofdslaapkamer en de overloop verbindt biedt ruimte aan de wasautomaat-en wasdroger-aansluiting, een boiler en twee cv-ketels.
De bergzolder is bereikbaar middels een vlizotrap en zorgt voor veel extra bergruimte.
Buitenruimte
De tuin rondom de woning is een oase van rust. Met circa 8.000 m² aan oppervlak, diverse terrassen, een zwemvijver, volwassen bomen en een vrij uitzicht over het omliggende landschap is dit een plek om tot rust te komen. Aan de achtergevel is een royale overkapping met gezellige buitenkeuken voor heerlijke lange zomeravonden. Op het perceel is een leuk basketbal/voetbal veldje aangelegd.
Aan de zwemvijver ligt een leuk chalet dat uitgerust is met een pelletkachel en kitchenette met vaatwasser en koelkast. Ook is er een aparte badkamer met een toilet en douche.
In het chalet is een technische ruimte aanwezig met extra groepenkast en een water ontijzeringsinstallatie.
De aangebouwde garage biedt ruimte voor opslag en werkruimte met grote vliering.
De woning is voorzien van 72 stuks zonnepanelen, dakisolatie, muurisolatie, vloerisolatie en grotendeels dubbelglas. Dit resulteert in energielabel C.
De carport biedt plek voor drie auto’s en extra opslagruimte en laadfuncties.
Deze woonboerderij biedt ontzettend veel ruimte en luxe.
Kom het vooral zelf beleven! Maak een afspraak voor een overtuigende bezichtiging!
Kenmerken van deze woning:
- Vrijstaande woonboerderij op royaal perceel
- Landelijke ligging met veel privacy
- 72 zonnepanelen en energiebewuste voorzieningen
- Sfeervolle woonkamer met pelletkachel
- Luxe keuken met kookeiland en inbouwapparatuur
- Meerdere slaapkamers en twee badkamers
- Multifunctionele ruimte met gym, pooltafel, werkplek en keuken
- Fraai aangelegde tuin met zwemvijver en terrassen
- Aangebouwde garage en ruime oprijlaan
Aan de groene oostrand van Weert, verscholen tussen bomen, weilanden en rust, ligt deze unieke woonboerderij. Een plek waar landelijke charme en moderne luxe samenkomen. Deze woonboerderij is gelegen op een royaal perceel met een eigen oprijlaan, ruime carport en schitterend aangelegde tuin met zwemvijver. Aan de binnenzijde een stijlvol interieur met hoogwaardige afwerking, warme huiselijke tinten qua materiaalgebruik en verrassend veel leefruimte en eventuele werkruimte.
Indeling
Begane grond
Via de ruime hal met karakteristieke trapopgang en stijlvolle tegelvloer zijn de verschillende leefruimtes bereikbaar. De woonkamer is sfeervol ingericht met een pelletkachel, grote raampartijen en een prachtig uitzicht over het vele groen rondom. De leefkeuken is een ware eyecatcher: v.v. een groot kookeiland, moderne inbouwapparatuur met o.a een Quooker, stoomoven, koffiemachine, extra grote koelkast met extra grote diepvries, vaatwasser, inductiekookplaat en een opvallende wanddecoratie met landelijke print.
De begane grond beschikt over een riante multifunctionele ruimte die gebruikt kan worden als groot thuiskantoor, thuisgym en/of ontspanningsruimte. Deze ruimte is compleet uitgevoerd met airco, evt. toilet, pooltafel, zithoek én eigen kitchenette. De kitchenette is v.v. een Quooker, koelkast, vaatwasser. Ook is er een praktische bijkeuken met een nog een extra grote koelkast en vriezer, wasautomaat-aansluiting en extra bergruimte.
Eerste verdieping
Op de eerste verdieping bevinden zich vijf slaapkamers, elk in een fijne sfeer afgewerkt. De master bedroom is ruim en licht, met airco, eigen kleedkamer en directe toegang tot de badkamer. Deze is uitgerust met een vrijstaand bad, dubbele wastafel, inloopdouche met sunshower, toilet en bidet, alles afgewerkt met landelijke stijl.
De tweede badkamer is uitgerust in dezelfde stijl met inloopdouche, 2 wastafels, toilet en bidet.
Een aparte ruimte die de hoofdslaapkamer en de overloop verbindt biedt ruimte aan de wasautomaat-en wasdroger-aansluiting, een boiler en twee cv-ketels.
De bergzolder is bereikbaar middels een vlizotrap en zorgt voor veel extra bergruimte.
Buitenruimte
De tuin rondom de woning is een oase van rust. Met circa 8.000 m² aan oppervlak, diverse terrassen, een zwemvijver, volwassen bomen en een vrij uitzicht over het omliggende landschap is dit een plek om tot rust te komen. Aan de achtergevel is een royale overkapping met gezellige buitenkeuken voor heerlijke lange zomeravonden. Op het perceel is een leuk basketbal/voetbal veldje aangelegd.
Aan de zwemvijver ligt een leuk chalet dat uitgerust is met een pelletkachel en kitchenette met vaatwasser en koelkast. Ook is er een aparte badkamer met een toilet en douche.
In het chalet is een technische ruimte aanwezig met extra groepenkast en een water ontijzeringsinstallatie.
De aangebouwde garage biedt ruimte voor opslag en werkruimte met grote vliering.
De woning is voorzien van 72 stuks zonnepanelen, dakisolatie, muurisolatie, vloerisolatie en grotendeels dubbelglas. Dit resulteert in energielabel C.
De carport biedt plek voor drie auto’s en extra opslagruimte en laadfuncties.
Deze woonboerderij biedt ontzettend veel ruimte en luxe.
Kom het vooral zelf beleven! Maak een afspraak voor een overtuigende bezichtiging!
Kenmerken van deze woning:
- Vrijstaande woonboerderij op royaal perceel
- Landelijke ligging met veel privacy
- 72 zonnepanelen en energiebewuste voorzieningen
- Sfeervolle woonkamer met pelletkachel
- Luxe keuken met kookeiland en inbouwapparatuur
- Meerdere slaapkamers en twee badkamers
- Multifunctionele ruimte met gym, pooltafel, werkplek en keuken
- Fraai aangelegde tuin met zwemvijver en terrassen
- Aangebouwde garage en ruime oprijlaan