Verkocht

Verkocht: Vossenstraat 15, 6286 BW Wittem

€ 299.000,- k.k.
€ 2.198,53/m2
Type object Eengezinswoning, woonhuis, twee onder een kap woning
Perceeloppervlakte 303 m²
Woonoppervlakte 136 m²
Aanvaarding In overleg
Status Verkocht

Notitie

Algemeen

Uiterst ruime twee-onder-een kapwoning met inpandige garage, oprit en tuin gelegen in de kern Nijswiller doch nabij het buitengebied. De woning is gedurende de afgelopen jaren prima onderhouden, doch enige modernisering is wenselijk. Deze fijne tweekapper beschikt over een lichte woonkamer, gesloten keuken, vier slaapkamers en een badkamer. Aan de voorzijde is er een eigen oprit met parkeergele... Meer informatie
  • Kenmerken

    Alle kenmerken
    Type object Eengezinswoning, woonhuis, twee onder een kap woning
    Bouwjaar 1974
    Status Verkocht
    Aangeboden sinds Woensdag 1 maart 2023
  • Locatie

Kenmerken

Overdracht
Vraagprijs € 299.000,- k.k.
Status Verkocht
Aanvaarding In overleg
Aangeboden sinds Woensdag 1 maart 2023
Laatste wijziging Donderdag 27 november 2025
Bouw
Type object Eengezinswoning, woonhuis, twee onder een kap woning
Soort bouw Bestaande bouw
Bouwjaar 1974
Dakbedekking Dakpannen
Type dak Zadeldak
Isolatievormen Dakisolatie, Dubbel glas, Muurisolatie
Oppervlaktes en inhoud
Perceeloppervlakte 303 m²
Woonoppervlakte 136 m²
Woonkameroppervlakte 27 m²
Inhoud 640 m³
Oppervlakte overige inpandige ruimten 54 m²
Oppervlakte externe bergruimte 6 m²
Oppervlakte gebouwgebonden buitenruimte 26 m²
Indeling
Aantal bouwlagen 3 (en 1 kelder)
Aantal kamers 7 (waarvan 4 slaapkamers)
Locatie
Ligging Aan rustige weg, In woonwijk
Tuin
Type Achtertuin
Hoofdtuin Ja
Oriëntering Noord west
Heeft een achterom Ja
Staat Normaal
Tuin 2 - Type Achtertuin
Tuin 2 - Staat Normaal
Tuin 3 - Type Voortuin
Tuin 3 - Staat Normaal
Energieverbruik
Energielabel C
CV ketel
CV ketel Nefit Trendline HRC30
Warmtebron Gas
Bouwjaar 2018
Combiketel Ja
Eigendom Huur
Uitrusting
Warm water CV-ketel
Verwarmingssysteem Centrale verwarming
Badkamervoorzieningen Douche, Ligbad, Toilet, Wastafelmeubel
Heeft een alarm Ja
Heeft kabel-tv Ja
Tuin aanwezig Ja
Heeft rolluiken Ja
Heeft schuur/berging Ja
Heeft een schuifpui Ja
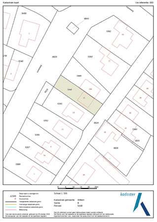
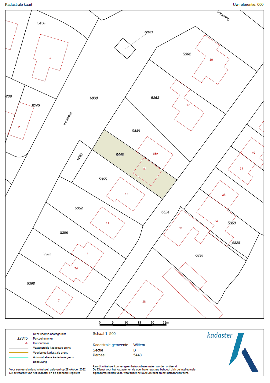
Kadastrale gegevens
Kadastrale aanduiding Wittem B 5448
Perceeloppervlakte 303 m²
Omvang Geheel perceel
Eigendomsituatie Eigen grond

Beschrijving

Uiterst ruime twee-onder-een kapwoning met inpandige garage, oprit en tuin gelegen in de kern Nijswiller doch nabij het buitengebied. De woning is gedurende de afgelopen jaren prima onderhouden, doch enige modernisering is wenselijk. Deze fijne tweekapper beschikt over een lichte woonkamer, gesloten keuken, vier slaapkamers en een badkamer. Aan de voorzijde is er een eigen oprit met parkeergelegenheid, de achtertuin beschikt over een terrasoverkapping en tuinhuis. Dus ben je op zoek naar een woning in hartje Heuvelland? Op een locatie met goede busverbindingen, nabij het groen en in een rustige straat? Dan ben je hier aan het juiste adres!

Het vriendelijke dorp Nijswiller is zeer centraal gelegen, uitvalswegen zijn in een mum van tijd bereikt en ook openbaar busvervoer is ruim voorhanden. Zo zijn plaatsen als Vaals, Aken, Maastricht en Heerlen zowel met de auto als ook met het openbaar vervoer goed bereikbaar. Voorzieningen zijn in de dichtbij gelegen kernen Simpelveld, Vaals en Gulpen te vinden. Tenslotte zijn ook diverse fiets- en wandelroutes in de nabije omgeving.

Bijzonderheden
- De woning heeft kunststoffen kozijnen met dubbele HR++ beglazing (2007)
- De woning is voorzien van rolluiken (2002)
- De dakkapel is in 2003 gerealiseerd
- De garagepoort is in 2003 vernieuwd
- De gevels zijn in 2010 gezandstraald
- Aanvaarding in overleg, op korte termijn mogelijk

Globale indeling
Souterrain
Portaalkelder
Wasruimte met witgoedaansluiting en aanrechtblok
Inpandige garage met automatische sectionaal poort

Begane grond
Hal voorzien van tegelvloer, meterkast en garderobekast
Toilet voorzien van hangend closet en fontein
Gesloten keuken voorzien van tegelvloer, aanbouwinstallatie met de volgende apparatuur: oven, gaskookplaat, afzuigkap, koelkast, vaatwasser
Woonkamer voorzien van mozaïek parketvloer en schuifpui naar tuin

Eerste verdieping
Overloop
Slaapkamer I
Slaapkamer II
Slaapkamer III
De overloop en slaapkamers zijn voorzien van een laminaatvloer
Badkamer voorzien van ligbad, hangend toilet, wastafel en inloopdouche

Tweede verdieping
Overloop
Bergruimte met CV installatie
Berging
Zolderslaapkamer met dakkapel en inbouwkasten

Plattegronden

Brochure(s) en overige bijlagen

Sluiten

Recent bekeken