Met een eigen account kun je panden volgen, opslaan als favoriet, je zoekprofiel opslaan en jouw eigen notities bij een huis maken.
Algemeen
Een instapklare en modern afgewerkte twee-onder-een kapwoning met garage, oprit en patiotuin gunstig gelegen aan de rand van het centrum van Gulpen. Je stapt binnen in dit keurig verbouwde woonhuis en proeft meteen de moderne sfeer en heerlijke woonruimte. Sinds 2020 is het pand op vele fronten onderhouden en gemoderniseerd om het weer helemaal aan de woonwensen van nu te laten voldoen. Het res... Meer informatie
-
Kenmerken
Alle kenmerken Type object Eengezinswoning, woonhuis, twee onder een kap woning Bouwjaar 1965 Status Nieuw in verkoop Aangeboden sinds Woensdag 11 februari 2026 -
Locatie
Kenmerken
| Overdracht | |
|---|---|
| Vraagprijs | € 375.000,- k.k. |
| Status | Nieuw in verkoop |
| Aanvaarding | In overleg |
| Aangeboden sinds | Woensdag 11 februari 2026 |
| Bouw | |
|---|---|
| Type object | Eengezinswoning, woonhuis, twee onder een kap woning |
| Soort bouw | Bestaande bouw |
| Bouwjaar | 1965 |
| Dakbedekking | Bitumen |
| Type dak | Zadeldak |
| Isolatievormen | Muurisolatie |
| Oppervlaktes en inhoud | |
|---|---|
| Perceeloppervlakte | 200 m² |
| Woonoppervlakte | 109 m² |
| Woonkameroppervlakte | 27 m² |
| Inhoud | 460 m³ |
| Oppervlakte overige inpandige ruimten | 27 m² |
| Tuinoppervlakte | 25 m² |
| Indeling | |
|---|---|
| Aantal bouwlagen | 2 (en 1 kelder) |
| Aantal kamers | 6 (waarvan 3 slaapkamers) |
| Locatie | |
|---|---|
| Ligging | In centrum, In woonwijk |
| Tuin | |
|---|---|
| Type | Achtertuin |
| Hoofdtuin | Ja |
| Oriëntering | West |
| Staat | Goed onderhouden |
| Tuin 2 - Type | Achtertuin |
| Tuin 2 - Staat | Goed onderhouden |
| Tuin 3 - Type | Voortuin |
| Tuin 3 - Staat | Goed onderhouden |
| Energieverbruik | |
|---|---|
| Energielabel | A |
| CV ketel | |
|---|---|
| CV ketel | Remeha Tzerra |
| Warmtebron | Gas |
| Bouwjaar | 2019 |
| Combiketel | Ja |
| Eigendom | Huur |
| Uitrusting | |
|---|---|
| Aantal parkeerplaatsen | 3 |
| Warm water | CV-ketel |
| Verwarmingssysteem | Centrale verwarming |
| Badkamervoorzieningen | Douche, Toilet, Wastafel |
| Heeft airco | Ja |
| Tuin aanwezig | Ja |
| Heeft een schuifpui | Ja |
| Heeft zonnecollectoren | Ja |
| Kadastrale gegevens | |
|---|---|
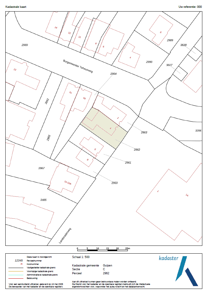
| Kadastrale aanduiding | GULPEN C 2962 |
| Perceeloppervlakte | 200 m² |
| Omvang | Geheel perceel |
| Eigendomsituatie | Eigen grond |
Beschrijving
Een instapklare en modern afgewerkte twee-onder-een kapwoning met garage, oprit en patiotuin gunstig gelegen aan de rand van het centrum van Gulpen. Je stapt binnen in dit keurig verbouwde woonhuis en proeft meteen de moderne sfeer en heerlijke woonruimte. Sinds 2020 is het pand op vele fronten onderhouden en gemoderniseerd om het weer helemaal aan de woonwensen van nu te laten voldoen. Het resultaat is dan ook een aantrekkelijke woning voor een starter, jong gezin of koppel, met energielabel A voorbereid op de toekomst. Op de begane grond stappen we via de ruime hal de woning binnen. De L-vormige woonkamer met licht zitgedeelte en handige bureauhoek spreekt direct aan. Aansluitend is er dan de semi open keuken met groot kookeiland en schuifpui naar de besloten patiotuin. De verdieping telt drie slaapkamers, waarvan een met eigen walk in closet. De neutrale badkamer is heel netjes. Voor al je praktische zaken is er een ruime garage en de oprit biedt voldoende parkeergelegenheid. Je woont aan de rand van het centrum van geliefd Gulpen. Een hele fijne ligging aangezien je zo het dorp in loopt voor alle voorzieningen, maar ook binnen twee minuten in het groen wandelt. Een ideale combinatie van centrum wonen, maar wel in de luwte waardoor het rustig is. Ga jij je koffers pakken en hier je nieuwe toekomst tegemoet?
Gulpen is letterlijk het hart van Heuvellandgemeente Gulpen-Wittem. Dit sfeerrijke dorp met uitvalswegen naar Maastricht en Aken is de echte centrumkern, dat maakt het er prettig wonen. Daar zijn vele redenen voor te noemen. Allereerst een uitstekend voorzieningenniveau, denk daarbij aan een uitgebreid en gevarieerd winkelaanbod in het gezellig winkelcentrum met onder meer supermarkten, bakkers, slagers, speciaalzaken en leuke kledingboetiekjes. Maar ook basis en voortgezet onderwijs, kinderopvang en medische voorzieningen zijn aanwezig. Tenslotte zorgt het busstation er voor dat vanuit Gulpen alle kanten op gereisd kan worden met openbaar vervoer. Natuurlijk reis je ook snel met de auto naar uitvalswegen en steden als Maastricht, Aken en Heerlen. Naast deze praktische voordelen heeft Gulpen ook veel sfeer en gezelligheid te bieden. In het centrum zijn vele horecazaken te vinden in alle soorten en maten, zodat eenieder er naar zijn smaak gezellig kan vertoeven. Tenslotte wordt het dorp omringd door het groene Heuvellandschap, heerlijk voor vele wandel- of fietstochten.
Bijzonderheden
- Vrijwel volledig voorzien van kunststoffen kozijnen met HR+ en HR++ beglazing
- De gevels zijn voorzien van spouwmuurisolatie (2025)
- De aanbouw is voorzien van vloerisolatie (2020)
- HR combi CV installatie, Remeha Tzerra, installatiejaar 2019, huur (de huurovereenkomst wordt overgedragen aan de koper)
- Airconditioning op slaapkamer, Mitsubishi, installatiejaar 2022, eigendom
- Er zijn 8 zonnepanelen geïnstalleerd in 2023, 410 Wattpiek per stuk, eigendom
- De meterkast werd vernieuwd, de elektrische installatie werd vernieuwd op de begane grond, ook werden alle schakelaars en stopcontacten vernieuwd, laadpunt voor de elektrische auto aan de zijkant van de woning
- De keuken werd geïnstalleerd in 2021
- Interne renovatie: doorbreken van muren, verplaatsen van keukenruimte, plaatsing schuifpui, renovatie toilet, nieuwe plafonds, nieuwe voordeur. Uitgevoerd in de periode 2020-2022
- Renovatie voor en achtertuin en realisatie terras in 2021
- Aanvaarding in overleg, op korte termijn mogelijk
Globale indeling
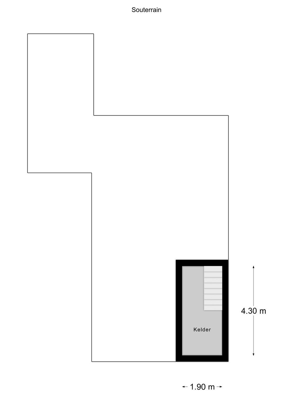
Souterrain
Provisiekelder voorzien van tegelvloer
Begane grond
Entree, hal met PVC vloer, meterkast, trapopgang
L-vormige woonkamer met bureauhoek en zitgedeelte
Semi open keuken voorzien van schuifpui, aanbouwinstallatie met kookeiland en kastenwand voorzien van de volgende apparatuur: inductiekookplaat met ingebouwde afzuiging, magnetron, oven, vaatwasser, koelkast, diepvries
Binnenhal met kastenwand en CV installatie
Toilet voorzien van hangend closet en fontein
Garage voorzien van tegelvloer, witgoedaansluiting en kantelpoort
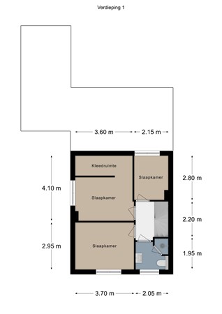
Verdieping
Overloop
Slaapkamer I met luik naar vliering
Slaapkamer II met airconditioning en walk in closet
Slaapkamer III met frans balkon
Badkamer voorzien van douchecabine, wastafelmeubel, hangend closet
Gulpen is letterlijk het hart van Heuvellandgemeente Gulpen-Wittem. Dit sfeerrijke dorp met uitvalswegen naar Maastricht en Aken is de echte centrumkern, dat maakt het er prettig wonen. Daar zijn vele redenen voor te noemen. Allereerst een uitstekend voorzieningenniveau, denk daarbij aan een uitgebreid en gevarieerd winkelaanbod in het gezellig winkelcentrum met onder meer supermarkten, bakkers, slagers, speciaalzaken en leuke kledingboetiekjes. Maar ook basis en voortgezet onderwijs, kinderopvang en medische voorzieningen zijn aanwezig. Tenslotte zorgt het busstation er voor dat vanuit Gulpen alle kanten op gereisd kan worden met openbaar vervoer. Natuurlijk reis je ook snel met de auto naar uitvalswegen en steden als Maastricht, Aken en Heerlen. Naast deze praktische voordelen heeft Gulpen ook veel sfeer en gezelligheid te bieden. In het centrum zijn vele horecazaken te vinden in alle soorten en maten, zodat eenieder er naar zijn smaak gezellig kan vertoeven. Tenslotte wordt het dorp omringd door het groene Heuvellandschap, heerlijk voor vele wandel- of fietstochten.
Bijzonderheden
- Vrijwel volledig voorzien van kunststoffen kozijnen met HR+ en HR++ beglazing
- De gevels zijn voorzien van spouwmuurisolatie (2025)
- De aanbouw is voorzien van vloerisolatie (2020)
- HR combi CV installatie, Remeha Tzerra, installatiejaar 2019, huur (de huurovereenkomst wordt overgedragen aan de koper)
- Airconditioning op slaapkamer, Mitsubishi, installatiejaar 2022, eigendom
- Er zijn 8 zonnepanelen geïnstalleerd in 2023, 410 Wattpiek per stuk, eigendom
- De meterkast werd vernieuwd, de elektrische installatie werd vernieuwd op de begane grond, ook werden alle schakelaars en stopcontacten vernieuwd, laadpunt voor de elektrische auto aan de zijkant van de woning
- De keuken werd geïnstalleerd in 2021
- Interne renovatie: doorbreken van muren, verplaatsen van keukenruimte, plaatsing schuifpui, renovatie toilet, nieuwe plafonds, nieuwe voordeur. Uitgevoerd in de periode 2020-2022
- Renovatie voor en achtertuin en realisatie terras in 2021
- Aanvaarding in overleg, op korte termijn mogelijk
Globale indeling
Souterrain
Provisiekelder voorzien van tegelvloer
Begane grond
Entree, hal met PVC vloer, meterkast, trapopgang
L-vormige woonkamer met bureauhoek en zitgedeelte
Semi open keuken voorzien van schuifpui, aanbouwinstallatie met kookeiland en kastenwand voorzien van de volgende apparatuur: inductiekookplaat met ingebouwde afzuiging, magnetron, oven, vaatwasser, koelkast, diepvries
Binnenhal met kastenwand en CV installatie
Toilet voorzien van hangend closet en fontein
Garage voorzien van tegelvloer, witgoedaansluiting en kantelpoort
Verdieping
Overloop
Slaapkamer I met luik naar vliering
Slaapkamer II met airconditioning en walk in closet
Slaapkamer III met frans balkon
Badkamer voorzien van douchecabine, wastafelmeubel, hangend closet