Met een eigen account kun je panden volgen, opslaan als favoriet, je zoekprofiel opslaan en jouw eigen notities bij een huis maken.
Algemeen
Aan de rand van het bergdorpje Vijlen, in een kindvriendelijke wijk met een speeltuintje aan de overkant en de lokale voetbalvereniging vlakbij, ligt deze verrassend ruime geschakelde woning uit 1985. De woning beschikt over een eigen oprit, carport, een multifunctionele garage/hobbyruimte en is op de zolderverdieping uitgebreid met een dakkapel. Bij binnenkomst op de begane grond stappen we v... Meer informatie
-
Kenmerken
Alle kenmerken Type object Eengezinswoning, woonhuis, geschakelde woning Bouwjaar 1985 Status Nieuw in verkoop Aangeboden sinds Donderdag 29 januari 2026 -
Locatie
Kenmerken
| Overdracht | |
|---|---|
| Vraagprijs | € 345.000,- k.k. |
| Status | Nieuw in verkoop |
| Aanvaarding | In overleg |
| Aangeboden sinds | Donderdag 29 januari 2026 |
| Laatste wijziging | Vrijdag 6 februari 2026 |
| Bouw | |
|---|---|
| Type object | Eengezinswoning, woonhuis, geschakelde woning |
| Soort bouw | Bestaande bouw |
| Bouwjaar | 1985 |
| Dakbedekking | Dakpannen |
| Type dak | Zadeldak |
| Isolatievormen | Dakisolatie |
| Oppervlaktes en inhoud | |
|---|---|
| Perceeloppervlakte | 270 m² |
| Woonoppervlakte | 124 m² |
| Woonkameroppervlakte | 25 m² |
| Inhoud | 508 m³ |
| Oppervlakte overige inpandige ruimten | 29 m² |
| Oppervlakte gebouwgebonden buitenruimte | 18 m² |
| Tuinoppervlakte | 159 m² |
| Indeling | |
|---|---|
| Aantal bouwlagen | 3 (en 1 kelder) |
| Aantal kamers | 5 (waarvan 4 slaapkamers) |
| Locatie | |
|---|---|
| Ligging | Aan park, Aan rustige weg, Beschutte ligging, In woonwijk |
| Tuin | |
|---|---|
| Type | Achtertuin |
| Hoofdtuin | Ja |
| Oriëntering | West |
| Staat | Normaal |
| Tuin 2 - Type | Achtertuin |
| Tuin 2 - Staat | Normaal |
| Tuin 3 - Type | Voortuin |
| Tuin 3 - Staat | Normaal |
| Energieverbruik | |
|---|---|
| Energielabel | B |
| CV ketel | |
|---|---|
| CV ketel | Nefit Combi CV |
| Warmtebron | Gas |
| Bouwjaar | 2018 |
| Combiketel | Ja |
| Eigendom | Eigendom |
| Uitrusting | |
|---|---|
| Warm water | CV-ketel |
| Verwarmingssysteem | Centrale verwarming |
| Badkamervoorzieningen | Douche, Dubbele wastafel, Ligbad, Toilet |
| Heeft airco | Ja |
| Tuin aanwezig | Ja |
| Heeft rolluiken | Ja |
| Heeft een schuifpui | Ja |
| Heeft zonnecollectoren | Ja |
| Heeft ventilatie | Ja |
| Kadastrale gegevens | |
|---|---|
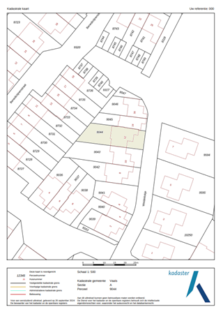
| Kadastrale aanduiding | Vaals A 9044 |
| Perceeloppervlakte | 270 m² |
| Omvang | Geheel perceel |
| Eigendomsituatie | Eigen grond |
Beschrijving
Aan de rand van het bergdorpje Vijlen, in een kindvriendelijke wijk met een speeltuintje aan de overkant en de lokale voetbalvereniging vlakbij, ligt deze verrassend ruime geschakelde woning uit 1985. De woning beschikt over een eigen oprit, carport, een multifunctionele garage/hobbyruimte en is op de zolderverdieping uitgebreid met een dakkapel. Bij binnenkomst op de begane grond stappen we via de hal het woongedeelte in, waar de woonkamer en open keuken in elkaar overlopen – een fijne plek om samen te komen. Aan de achterzijde zorgt een serre voor extra leefruimte en comfort, perfect voor elk seizoen. Op de eerste verdieping bevinden zich drie volwaardige slaapkamers en een nette badkamer met ligbad, dubbele wastafel, douche en toilet. De per vaste trap bereikbare zolderverdieping is door de dakkapel ideaal als vierde slaapkamer, thuiskantoor of hobbyruimte. De voormalige garage is momenteel in gebruik als hondentrimsalon, maar leent zich uitstekend voor een praktijk aan huis of andere invulling. De op het Westen gelegen, onderhoudsvriendelijke achtertuin is volledig betegeld en is een fijne plek om te genieten van de middag- en avondzon. Een verzorgde woning op een gangbare locatie, met voldoende ruimte en gebruiksmogelijkheden! Kom jij een kijkje nemen?
Vijlen heeft veel bekendheid gemaakt als Bergdorpje, het ligt namelijk 200 meter boven NAP en daardoor is Vijlen het hoogst gelegen dorp van Nederland. Daarbovenop heeft het ook nog eens de hoogst gelegen kerktoren, de top van de toren ligt op 242 meter boven NAP en is dan ook een herkenningspunt in de wijde omgeving. Maar het is vooral ook een heel prettig dorp om te wonen: basisvoorzieningen in het dorp waaronder een eigen basisschool, buurtwinkel en bakker. Een groter aanbod voorzieningen in het nabij gelegen Vaals, een gezellig en sociaal (verenigings)leven, rust en natuur maar ook slechts enkele autominuten verwijderd van uitvalswegen maken het tot een aantrekkelijke plek om te wonen
Bijzonderheden
* De woning is voorzien van houten kozijnen met HR++ beglazing
* De woning is voorzien van twee airco’s, een in de woning en één in de garage, beide airco’s zijn gehuurd. De huurovereenkomst zal worden overgedragen aan de koper.
* De woning is voorzien van 10 zonnepanelen (huur), de huurovereenkomst zal worden overgedragen aan de koper
* De woonkamer en keuken zijn voorzien van elektrische vloerverwarming
* CV – installatie Nefit Combi CV, bouwjaar 2018, eigendom
* Aanvaarding in overleg, op korte termijn mogelijk.
Globale indeling
Souterrain
Provisiekelder
Begane grond
Entree, hal met meterkast
Woonkamer voorzien van grindvloer, met airconditioning
Open keuken voorzien van de volgende inbouwapparatuur: 5-pits gasfornuis, vaatwasser, oven, koelkast, afzuiging.
Serre met schuifpui naar de tuin
Gang met trapopgang en toilet
Toilet voorzien van hangend closet en fontein
Eerste verdieping
Overloop
Slaapkamer I
Slaapkamer II
Slaapkamer III
Badkamer voorzien van ligbad, dubbele wastafel, douche en toilet met staand closet
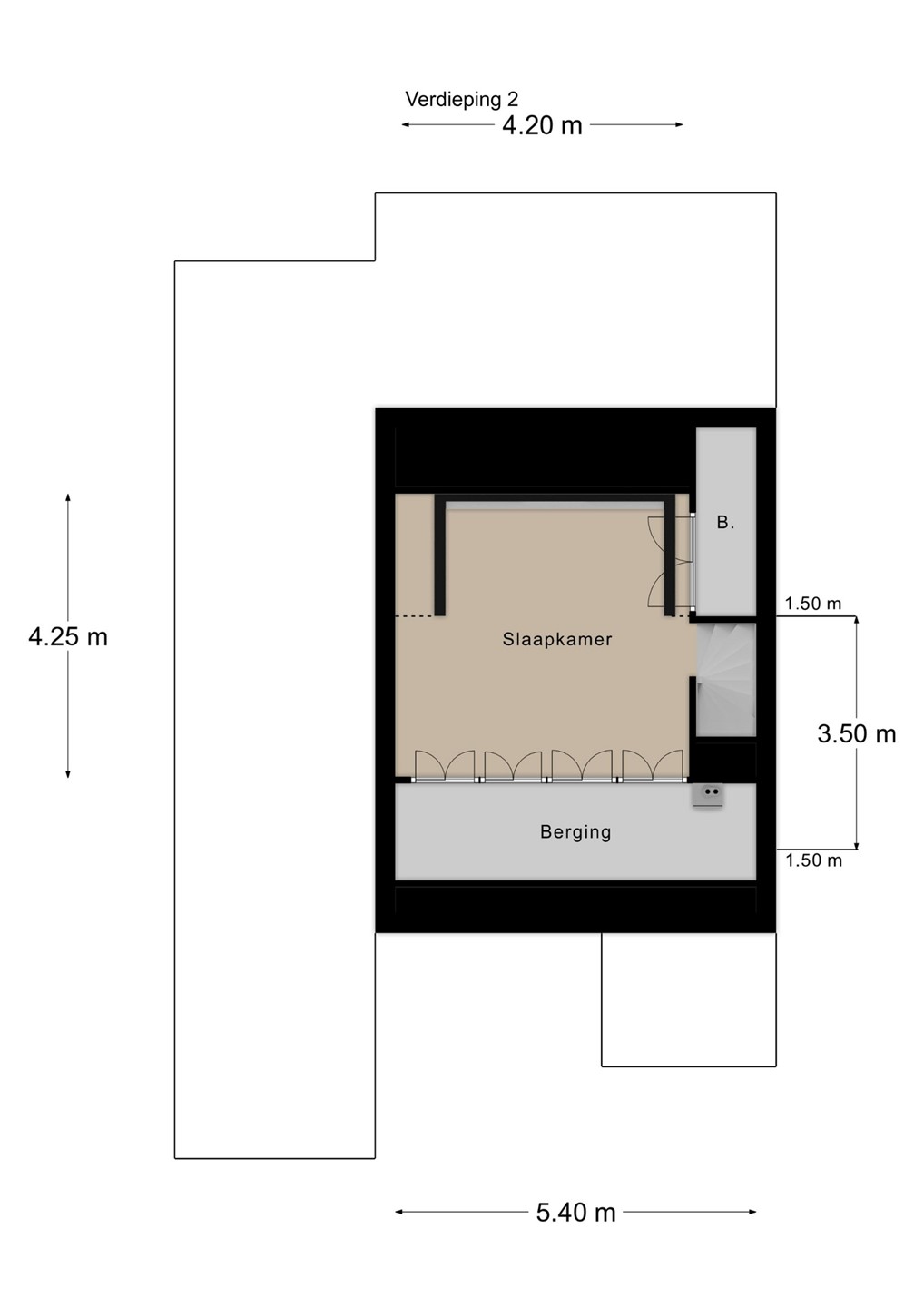
Tweede verdieping
Per vaste trap bereikbare zolderverdieping
Slaapkamer IV
Extern
Hobbyruimte inclusief berging, voorzien van tegelvloer en airconditioning, met vliering
Carport
Vijlen heeft veel bekendheid gemaakt als Bergdorpje, het ligt namelijk 200 meter boven NAP en daardoor is Vijlen het hoogst gelegen dorp van Nederland. Daarbovenop heeft het ook nog eens de hoogst gelegen kerktoren, de top van de toren ligt op 242 meter boven NAP en is dan ook een herkenningspunt in de wijde omgeving. Maar het is vooral ook een heel prettig dorp om te wonen: basisvoorzieningen in het dorp waaronder een eigen basisschool, buurtwinkel en bakker. Een groter aanbod voorzieningen in het nabij gelegen Vaals, een gezellig en sociaal (verenigings)leven, rust en natuur maar ook slechts enkele autominuten verwijderd van uitvalswegen maken het tot een aantrekkelijke plek om te wonen
Bijzonderheden
* De woning is voorzien van houten kozijnen met HR++ beglazing
* De woning is voorzien van twee airco’s, een in de woning en één in de garage, beide airco’s zijn gehuurd. De huurovereenkomst zal worden overgedragen aan de koper.
* De woning is voorzien van 10 zonnepanelen (huur), de huurovereenkomst zal worden overgedragen aan de koper
* De woonkamer en keuken zijn voorzien van elektrische vloerverwarming
* CV – installatie Nefit Combi CV, bouwjaar 2018, eigendom
* Aanvaarding in overleg, op korte termijn mogelijk.
Globale indeling
Souterrain
Provisiekelder
Begane grond
Entree, hal met meterkast
Woonkamer voorzien van grindvloer, met airconditioning
Open keuken voorzien van de volgende inbouwapparatuur: 5-pits gasfornuis, vaatwasser, oven, koelkast, afzuiging.
Serre met schuifpui naar de tuin
Gang met trapopgang en toilet
Toilet voorzien van hangend closet en fontein
Eerste verdieping
Overloop
Slaapkamer I
Slaapkamer II
Slaapkamer III
Badkamer voorzien van ligbad, dubbele wastafel, douche en toilet met staand closet
Tweede verdieping
Per vaste trap bereikbare zolderverdieping
Slaapkamer IV
Extern
Hobbyruimte inclusief berging, voorzien van tegelvloer en airconditioning, met vliering
Carport