Met een eigen account kun je panden volgen, opslaan als favoriet, je zoekprofiel opslaan en jouw eigen notities bij een huis maken.
Algemeen
Luxe wonen en werken in deze bijzonder stijlvolle kantoorvilla!
Deze vrijstaande villa met kantoorgebouw heeft absoluut de ‘wow-factor’! Een uniek, door Beelen CS architecten ontworpen pand dat sfeervol wonen prachtig combineert met comfortabel werken. En dat alles op een geweldige locatie in het gebied Centrum Noord, met uitzicht op de Zuid-Willemsvaart en het stadscentrum van Weert. De in... Meer informatie
Deze vrijstaande villa met kantoorgebouw heeft absoluut de ‘wow-factor’! Een uniek, door Beelen CS architecten ontworpen pand dat sfeervol wonen prachtig combineert met comfortabel werken. En dat alles op een geweldige locatie in het gebied Centrum Noord, met uitzicht op de Zuid-Willemsvaart en het stadscentrum van Weert. De in... Meer informatie
-
Kenmerken
Alle kenmerken Type object Woonhuis, eengezinswoning, vrijstaande woning Bouwjaar 2004 Aangeboden sinds Dinsdag 22 augustus 2023 -
Locatie
Kenmerken
| Overdracht | |
|---|---|
| Referentienummer | 62677/7112741 |
| Prijs | Prijs op aanvraag |
| Aanvaarding | In overleg |
| Aangeboden sinds | Dinsdag 22 augustus 2023 |
| Laatste wijziging | Woensdag 24 december 2025 |
| Bouw | |
|---|---|
| Type object | Woonhuis, eengezinswoning, vrijstaande woning |
| Soort bouw | Bestaande bouw |
| Bouwjaar | 2004 |
| Type dak | Platdak |
| Isolatievormen | Dakisolatie, Dubbel glas, Muurisolatie, Vloerisolatie |
| Oppervlaktes en inhoud | |
|---|---|
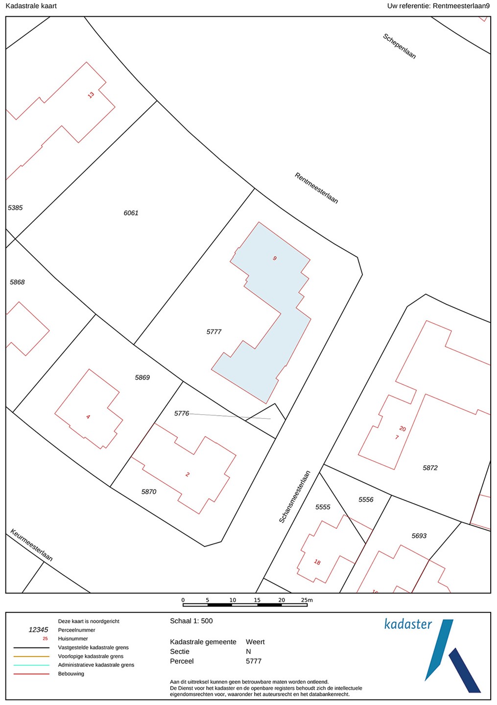
| Perceeloppervlakte | 1.204 m² |
| Woonoppervlakte | 360 m² |
| Inhoud | 1.584 m³ |
| Oppervlakte gebouwgebonden buitenruimte | 117 m² |
| Indeling | |
|---|---|
| Aantal bouwlagen | 2 |
| Aantal kamers | 9 (waarvan 3 slaapkamers) |
| Locatie | |
|---|---|
| Ligging | Aan rustige weg |
| Tuin | |
|---|---|
| Type | Achtertuin |
| Hoofdtuin | Ja |
| Oriëntering | Zuid-west |
| Heeft een achterom | Ja |
| Staat | Goed onderhouden |
| Energieverbruik | |
|---|---|
| Energielabel | A |
| Uitrusting | |
|---|---|
| Badkamervoorzieningen Badkamer 1 | Douche, Dubbele wastafel, Toilet, Wastafelmeubel |
| Badkamervoorzieningen Badkamer 2 | Inloopdouche, Ligbad, Toilet, Whirlpool |
| Parkeergelegenheid | Aangebouwde stenen garage |
| Heeft een alarm | Ja |
| Tuin aanwezig | Ja |
| Heeft een garage | Ja |
| Heeft een sauna | Ja |
| Heeft schuur/berging | Ja |
| Heeft een schuifpui | Ja |
| Heeft een zwembad | Ja |
Beschrijving
Luxe wonen en werken in deze bijzonder stijlvolle kantoorvilla!
Deze vrijstaande villa met kantoorgebouw heeft absoluut de ‘wow-factor’! Een uniek, door Beelen CS architecten ontworpen pand dat sfeervol wonen prachtig combineert met comfortabel werken. En dat alles op een geweldige locatie in het gebied Centrum Noord, met uitzicht op de Zuid-Willemsvaart en het stadscentrum van Weert. De in 2004 gebouwde villa is volledig geïsoleerd en duurzaam afgewerkt met hardhouten kozijnen, HR++ beglazing en een uitgebreide Hitech warmtepompinstallatie (2019) die tevens comfortabele aardkoeling bied in de zomer. De maar liefst 104 (!) zonnepanelen zorgen voor een volledig neutrale energievoorziening.
Een uitgestrekte gang verbindt de sfeervolle woning met het ruime en compleet ingerichte kantoorgedeelte. Niet alleen binnen, maar ook buiten is het genieten van alle luxe! Onder het grote overdekte terrasgedeelte met jacuzzi is het zomer en winter heerlijk toeven. En op warme dagen neem je zo een verfrissende duik in het grote zwembad dat omgeven wordt door een fraai aangelegde tuin.
Ben je op zoek naar een comfortabele woon- en werkruimte die van alle gemakken voorzien is? Die centraal gelegen is nabij uitvalswegen en alle voorzieningen, maar waar je toch kunt genieten van rust en ruimte? Een plek waar je met je partner of met het hele gezin samen kunt zijn en tegelijkertijd een prettige werkomgeving kunt creëren? Zoek dan niet verder! Deze woning heeft het állemaal.
Indeling
De woning
Eerste verdieping
De overdekte entree van het woonhuis is bereikbaar via de brede oprit. Stap binnen en voel direct de luxe sfeer van het huis. De ontvangsthal is voorzien van een fraaie granieten vloer en biedt toegang tot een toilet, de meterkast en de woonkamer. Via een korte gang is ook de trap naar de bovenverdieping en een tweede hal bereikbaar die toegang geeft tot de keuken, bijkeuken en het kantoorgebouw.
Het L-vormige woon- en eetgedeelte profiteert van een fijne lichtinval en veel ruimtelijkheid, onder andere door de prachtige stenen muur die hoog oploopt en waarlangs daglicht naar beneden vloeit. De woonkamer is verder ingericht met een stijlvolle gashaard en een mooie houten vloer die de ruimte een fijne warme sfeer geeft.
De riante leefkeuken vormt het hart van het huis. De keuken is uitgerust met een grote kastenwand en apart kookeiland, granieten werkblad, inductie kookplaat met aparte wokbrander op gas, twee ovens, vaatwasser en inbouw koffieautomaat. Er is een barretje waar je lekker aan kunt ontbijten of borrelen, maar ook meer dan genoeg ruimte om met het hele gezin uitgebreid te tafelen! Een grote glazen schuifpui geeft toegang tot de overkapte buitenruimte. Direct naast de keuken bevinden zich een grote bergruimte (dit is tevens de technische ruimte) en een aparte bijkeuken met witgoedaansluiting.
Tweede verdieping
Op de bovenverdieping biedt een lange overloop toegang tot drie grote slaapkamers met hoge plafonds, een apart toilet, twee bergruimtes en een heerlijke weldadige badkamer. Deze is uitgerust met een whirlpool bubbelbad, een luxe inloopdouche, designradiator, radio, tv en groot badkamermeubel met twee wastafels en veel opbergruimte.
Het kantoorgebouw
Het kantoorgebouw is verbonden aan het woongedeelte door middel van een lange gang. Het gebouw heeft ook een eigen entree aan de zijkant van het complex, direct achter een aantal parkeerplaatsen (inclusief laadpaal voor elektrische auto’s). Vanuit de buiteningang kom je eerst in een ontvangstruimte met toegang tot een toilet en douchegelegenheid. Vanuit hier zijn drie aparte kantoorruimtes bereikbaar, waarvan er één is ingericht als vergaderruimte met complete keuken, bar en karaokefaciliteit. Vanuit deze ruimte heb je ook toegang tot een overdekt terras en de tuin.
Het kantoorgedeelte bestaat verder nog uit een opberg-/archiefruimte met kastenwanden en een magazijn/garage met grote garagepoort die uitkomt aan de voorzijde van de woning.
Achter het kantoorgebouw, in de hoek van het perceel, ligt nog een ruime vrijstaande berging. Hier bevindt zich tevens de pomp voor het zwembad.
Buitenruimte
De fraai aangelegde mediterrane tuin met grote overkapping, jacuzzi en een prachtig buitenzwembad maken het plaatje compleet! Hier waan je je in je eigen privé resort en kun je op elk moment van het jaar genieten van het luxe buitenleven. Vanuit de keuken bereik je allereerst een lagergelegen terras met tv-aansluiting. Een fijne plek waar je lekker kunt relaxen en die binnen met buiten verbindt. Via een trap bereik je het hoger gelegen terras met glazen overkapping. Deze is deels te openen waardoor er op warme dagen verkoelende lucht door kan stromen. Hier staat ook de luxe jacuzzi die plaats biedt aan vier volwassenen. Het zwembad ligt centraal in de tuin en is rondom afwerkt met een natuurstenen terras. Dit alles wordt omgeven door gras, borders, palmbomen en groene hagen. Je privacy is hier 100% gegarandeerd!
Beelden zeggen meer dan woorden: deze unieke woon-werk villa op een toplocatie is een absolute droom!
Interesse? Maak dan een afspraak voor een uitgebreide bezichtiging!
Bijzonderheden van deze stadsvilla:
- Moderne, door Beelen CS architecten ontworpen, vrijstaande stadsvilla met kantoorruimte op een ruim perceel
- Toplocatie op Centrum Noord, op een steenworp afstand van uitvalswegen én het stadscentrum van Weert
- Volledige isolatie, hardhouten kozijnen en HR++ beglazing
- Mediterrane privacy-biedende tuin met diverse terrassen, een super luxe serre en jacuzzi
- Groot verwarmd zwembad met eigen warmtepomp
- Hitech warmtepompinstallatie (2019)
- 104 zonnepanelen met totaal vermogen van maximaal 28,62 kwh
- Nefit HR combiketel als backup
- Luxe afwerking met granieten en houten vloeren, hardstenen trappen en strakke spackspuitwerk muren en plafonds
- Grote leefkeuken die van alle gemakken is voorzien en een goede connectie heeft met buiten
- Gezellige woon- en eetkamer met fraaie gashaard en mooie lichtinval
- Drie ruime slaapkamers op verdieping
- Badkamer voorzien van whirlpool bad en luxe douche
- Aanpandig kantoorgebouw met drie kantoor-/vergaderruimtes, keuken, bar, archiefruimte, magazijn en sanitaire voorzieningen
Deze vrijstaande villa met kantoorgebouw heeft absoluut de ‘wow-factor’! Een uniek, door Beelen CS architecten ontworpen pand dat sfeervol wonen prachtig combineert met comfortabel werken. En dat alles op een geweldige locatie in het gebied Centrum Noord, met uitzicht op de Zuid-Willemsvaart en het stadscentrum van Weert. De in 2004 gebouwde villa is volledig geïsoleerd en duurzaam afgewerkt met hardhouten kozijnen, HR++ beglazing en een uitgebreide Hitech warmtepompinstallatie (2019) die tevens comfortabele aardkoeling bied in de zomer. De maar liefst 104 (!) zonnepanelen zorgen voor een volledig neutrale energievoorziening.
Een uitgestrekte gang verbindt de sfeervolle woning met het ruime en compleet ingerichte kantoorgedeelte. Niet alleen binnen, maar ook buiten is het genieten van alle luxe! Onder het grote overdekte terrasgedeelte met jacuzzi is het zomer en winter heerlijk toeven. En op warme dagen neem je zo een verfrissende duik in het grote zwembad dat omgeven wordt door een fraai aangelegde tuin.
Ben je op zoek naar een comfortabele woon- en werkruimte die van alle gemakken voorzien is? Die centraal gelegen is nabij uitvalswegen en alle voorzieningen, maar waar je toch kunt genieten van rust en ruimte? Een plek waar je met je partner of met het hele gezin samen kunt zijn en tegelijkertijd een prettige werkomgeving kunt creëren? Zoek dan niet verder! Deze woning heeft het állemaal.
Indeling
De woning
Eerste verdieping
De overdekte entree van het woonhuis is bereikbaar via de brede oprit. Stap binnen en voel direct de luxe sfeer van het huis. De ontvangsthal is voorzien van een fraaie granieten vloer en biedt toegang tot een toilet, de meterkast en de woonkamer. Via een korte gang is ook de trap naar de bovenverdieping en een tweede hal bereikbaar die toegang geeft tot de keuken, bijkeuken en het kantoorgebouw.
Het L-vormige woon- en eetgedeelte profiteert van een fijne lichtinval en veel ruimtelijkheid, onder andere door de prachtige stenen muur die hoog oploopt en waarlangs daglicht naar beneden vloeit. De woonkamer is verder ingericht met een stijlvolle gashaard en een mooie houten vloer die de ruimte een fijne warme sfeer geeft.
De riante leefkeuken vormt het hart van het huis. De keuken is uitgerust met een grote kastenwand en apart kookeiland, granieten werkblad, inductie kookplaat met aparte wokbrander op gas, twee ovens, vaatwasser en inbouw koffieautomaat. Er is een barretje waar je lekker aan kunt ontbijten of borrelen, maar ook meer dan genoeg ruimte om met het hele gezin uitgebreid te tafelen! Een grote glazen schuifpui geeft toegang tot de overkapte buitenruimte. Direct naast de keuken bevinden zich een grote bergruimte (dit is tevens de technische ruimte) en een aparte bijkeuken met witgoedaansluiting.
Tweede verdieping
Op de bovenverdieping biedt een lange overloop toegang tot drie grote slaapkamers met hoge plafonds, een apart toilet, twee bergruimtes en een heerlijke weldadige badkamer. Deze is uitgerust met een whirlpool bubbelbad, een luxe inloopdouche, designradiator, radio, tv en groot badkamermeubel met twee wastafels en veel opbergruimte.
Het kantoorgebouw
Het kantoorgebouw is verbonden aan het woongedeelte door middel van een lange gang. Het gebouw heeft ook een eigen entree aan de zijkant van het complex, direct achter een aantal parkeerplaatsen (inclusief laadpaal voor elektrische auto’s). Vanuit de buiteningang kom je eerst in een ontvangstruimte met toegang tot een toilet en douchegelegenheid. Vanuit hier zijn drie aparte kantoorruimtes bereikbaar, waarvan er één is ingericht als vergaderruimte met complete keuken, bar en karaokefaciliteit. Vanuit deze ruimte heb je ook toegang tot een overdekt terras en de tuin.
Het kantoorgedeelte bestaat verder nog uit een opberg-/archiefruimte met kastenwanden en een magazijn/garage met grote garagepoort die uitkomt aan de voorzijde van de woning.
Achter het kantoorgebouw, in de hoek van het perceel, ligt nog een ruime vrijstaande berging. Hier bevindt zich tevens de pomp voor het zwembad.
Buitenruimte
De fraai aangelegde mediterrane tuin met grote overkapping, jacuzzi en een prachtig buitenzwembad maken het plaatje compleet! Hier waan je je in je eigen privé resort en kun je op elk moment van het jaar genieten van het luxe buitenleven. Vanuit de keuken bereik je allereerst een lagergelegen terras met tv-aansluiting. Een fijne plek waar je lekker kunt relaxen en die binnen met buiten verbindt. Via een trap bereik je het hoger gelegen terras met glazen overkapping. Deze is deels te openen waardoor er op warme dagen verkoelende lucht door kan stromen. Hier staat ook de luxe jacuzzi die plaats biedt aan vier volwassenen. Het zwembad ligt centraal in de tuin en is rondom afwerkt met een natuurstenen terras. Dit alles wordt omgeven door gras, borders, palmbomen en groene hagen. Je privacy is hier 100% gegarandeerd!
Beelden zeggen meer dan woorden: deze unieke woon-werk villa op een toplocatie is een absolute droom!
Interesse? Maak dan een afspraak voor een uitgebreide bezichtiging!
Bijzonderheden van deze stadsvilla:
- Moderne, door Beelen CS architecten ontworpen, vrijstaande stadsvilla met kantoorruimte op een ruim perceel
- Toplocatie op Centrum Noord, op een steenworp afstand van uitvalswegen én het stadscentrum van Weert
- Volledige isolatie, hardhouten kozijnen en HR++ beglazing
- Mediterrane privacy-biedende tuin met diverse terrassen, een super luxe serre en jacuzzi
- Groot verwarmd zwembad met eigen warmtepomp
- Hitech warmtepompinstallatie (2019)
- 104 zonnepanelen met totaal vermogen van maximaal 28,62 kwh
- Nefit HR combiketel als backup
- Luxe afwerking met granieten en houten vloeren, hardstenen trappen en strakke spackspuitwerk muren en plafonds
- Grote leefkeuken die van alle gemakken is voorzien en een goede connectie heeft met buiten
- Gezellige woon- en eetkamer met fraaie gashaard en mooie lichtinval
- Drie ruime slaapkamers op verdieping
- Badkamer voorzien van whirlpool bad en luxe douche
- Aanpandig kantoorgebouw met drie kantoor-/vergaderruimtes, keuken, bar, archiefruimte, magazijn en sanitaire voorzieningen