Met een eigen account kun je panden volgen, opslaan als favoriet, je zoekprofiel opslaan en jouw eigen notities bij een huis maken.
Algemeen
Een nette twee-onder-een-kapwoning met garage en op het Westen gesitueerde tuin, rustig gelegen aan de Dr. Poelsstraat 11 in het sfeervolle kerkdorp Eys. Het huis biedt een fijne combinatie van leefruimte, wooncomfort en mogelijkheden. Bij binnenkomst valt direct de ruime, lichte woon- en eetkamer op, waar een aangename en huiselijke sfeer centraal staat. Aansluitend gelegen is de half open keu... Meer informatie
-
Kenmerken
Alle kenmerken Type object Eengezinswoning, woonhuis, twee onder een kap woning Bouwjaar 1970 Status Verkocht onder voorbehoud Aangeboden sinds Donderdag 30 april 2026 -
Locatie
Kenmerken
| Overdracht | |
|---|---|
| Vraagprijs | € 290.000,- k.k. |
| Status | Verkocht onder voorbehoud |
| Aanvaarding | In overleg |
| Aangeboden sinds | Donderdag 30 april 2026 |
| Laatste wijziging | Donderdag 7 mei 2026 |
| Bouw | |
|---|---|
| Type object | Eengezinswoning, woonhuis, twee onder een kap woning |
| Soort bouw | Bestaande bouw |
| Bouwjaar | 1970 |
| Dakbedekking | Dakpannen |
| Type dak | Zadeldak |
| Isolatievormen | Dubbel glas |
| Oppervlaktes en inhoud | |
|---|---|
| Perceeloppervlakte | 287 m² |
| Woonoppervlakte | 88 m² |
| Woonkameroppervlakte | 29 m² |
| Inhoud | 359 m³ |
| Oppervlakte overige inpandige ruimten | 15 m² |
| Oppervlakte externe bergruimte | 18 m² |
| Oppervlakte gebouwgebonden buitenruimte | 15 m² |
| Tuinoppervlakte | 200 m² |
| Indeling | |
|---|---|
| Aantal bouwlagen | 3 |
| Aantal kamers | 5 (waarvan 3 slaapkamers) |
| Locatie | |
|---|---|
| Ligging | In woonwijk |
| Tuin | |
|---|---|
| Type | Achtertuin |
| Hoofdtuin | Ja |
| Oriëntering | West |
| Heeft een achterom | Ja |
| Staat | Normaal |
| Tuin 2 - Type | Achtertuin |
| Tuin 2 - Staat | Normaal |
| Tuin 3 - Type | Voortuin |
| Tuin 3 - Staat | Normaal |
| Energieverbruik | |
|---|---|
| Energielabel | C |
| CV ketel | |
|---|---|
| CV ketel | Bosch |
| Warmtebron | Gas |
| Bouwjaar | 2012 |
| Combiketel | Ja |
| Eigendom | Huur |
| Uitrusting | |
|---|---|
| Aantal parkeerplaatsen | 2 |
| Warm water | CV-ketel |
| Verwarmingssysteem | Centrale verwarming |
| Badkamervoorzieningen | Ligbad, Toilet, Wastafel |
| Tuin aanwezig | Ja |
| Kadastrale gegevens | |
|---|---|
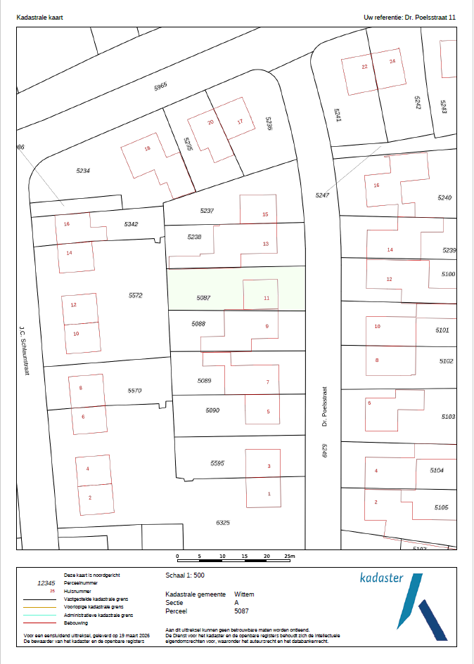
| Kadastrale aanduiding | WITTEM A 5087 |
| Perceeloppervlakte | 287 m² |
| Omvang | Geheel perceel |
| Eigendomsituatie | Eigen grond |
Beschrijving
Een nette twee-onder-een-kapwoning met garage en op het Westen gesitueerde tuin, rustig gelegen aan de Dr. Poelsstraat 11 in het sfeervolle kerkdorp Eys. Het huis biedt een fijne combinatie van leefruimte, wooncomfort en mogelijkheden. Bij binnenkomst valt direct de ruime, lichte woon- en eetkamer op, waar een aangename en huiselijke sfeer centraal staat. Aansluitend gelegen is de half open keuken, die toegang geeft tot de tuin. De achtertuin is goed van formaat en je geniet er lekker van de middag en avondzon. Hier is alle ruimte om een fijne buitenplek te realiseren waar je in alle rust kunt genieten. Op de eerste verdieping bevinden zich drie slaapkamers en een badkamer, voorzien van ligbad, wastafel, toilet en witgoedaansluiting. Daarnaast beschikt de woning over een bergzolder, ideaal voor extra bergruimte. De oprit met garage maakt het geheel compleet en biedt voldoende parkeergelegenheid op eigen terrein. Kortom, een fijne woning met volop potentie, geschikt voor zowel starters als gezinnen, gelegen in een rustige woonomgeving met goede verbindingen. Wij laten je deze woning graag persoonlijk ervaren tijdens een bezichtiging.
Eys is een fijne plek om te wonen, daar zijn meerdere redenen voor te benoemen. Allereerst betreft het een sfeervol dorp met basisvoorzieningen zoals bakker, horeca, basisschool en openbaar vervoer. Ook heeft het dorp een actief sociaal leven met onder andere sportclubs, harmonie, carnavalsvereniging en meer, waar je zeker van harte welkom bent. Het is er heerlijk rustig wonen, met net wat minder toeristische drukte. Een extra plus is natuurlijk dat rondom het gehele dorp het heuvellandschap zichtbaar is, zoals het Eyserbos, Trintelen en de Eyserheide. Het is dan ook een geliefde plaats voor wandelaars en de wielrensport, de Eyserbosweg is een van de lastigste klimmen in Zuid-Limburg. Tenslotte is de centrale ligging in het Heuvelland ook een grote pré, je bent snel in de nabij gelegen centrumkernen Simpelveld en Gulpen voor een uitgebreid voorzieningenaanbod, en ook autowegen bereik je binnen enkele autominuten. Hierdoor reis je net wat sneller naar steden als Maastricht, Heerlen, Aken of Eindhoven.
Bijzonderheden
- Deels kunststoffen en deels houten kozijnen, voorzien van dubbele beglazing
- HR combi CV installatie, Bosch Eco Comfort, installatiejaar 2012, huur (de huurovereenkomst wordt overgedragen aan de koper)
- De meterkast en elektra van de keuken zijn vernieuwd in 2020
- De indeling van de begane grond is aangepast, de woonkamer is voorzien van een betonnen vloer
- Aanvaarding in overleg
Globale indeling
Begane grond
Entree, hal met plavuizenvloer, trapopgang, trapberging en meterkast
Toilet voorzien van hangend closet
Open keuken voorzien van enkele deur naar de tuin, aanbouwinstallatie met de volgende apparatuur: keramische kookplaat, afzuiging, klein formaat vaatwasser, combi oven en koelkast
Woonkamer met eet- en zitgedeelte
De begane grond is voorzien van een plavuizenvloer
Eerste verdieping
Overloop
Slaapkamer I
Slaapkamer II met steektrap naar de zolder
Slaapkamer III
Badkamer voorzien van ligbad, wastafel, staand closet en witgoedaansluiting
De overloop en slaapkamers zijn voorzien van een laminaatvloer
Tweede verdieping
Via steektrap bereikbare bergzolder met CV installatie
Extern
Garage voorzien van kantelpoort
Eys is een fijne plek om te wonen, daar zijn meerdere redenen voor te benoemen. Allereerst betreft het een sfeervol dorp met basisvoorzieningen zoals bakker, horeca, basisschool en openbaar vervoer. Ook heeft het dorp een actief sociaal leven met onder andere sportclubs, harmonie, carnavalsvereniging en meer, waar je zeker van harte welkom bent. Het is er heerlijk rustig wonen, met net wat minder toeristische drukte. Een extra plus is natuurlijk dat rondom het gehele dorp het heuvellandschap zichtbaar is, zoals het Eyserbos, Trintelen en de Eyserheide. Het is dan ook een geliefde plaats voor wandelaars en de wielrensport, de Eyserbosweg is een van de lastigste klimmen in Zuid-Limburg. Tenslotte is de centrale ligging in het Heuvelland ook een grote pré, je bent snel in de nabij gelegen centrumkernen Simpelveld en Gulpen voor een uitgebreid voorzieningenaanbod, en ook autowegen bereik je binnen enkele autominuten. Hierdoor reis je net wat sneller naar steden als Maastricht, Heerlen, Aken of Eindhoven.
Bijzonderheden
- Deels kunststoffen en deels houten kozijnen, voorzien van dubbele beglazing
- HR combi CV installatie, Bosch Eco Comfort, installatiejaar 2012, huur (de huurovereenkomst wordt overgedragen aan de koper)
- De meterkast en elektra van de keuken zijn vernieuwd in 2020
- De indeling van de begane grond is aangepast, de woonkamer is voorzien van een betonnen vloer
- Aanvaarding in overleg
Globale indeling
Begane grond
Entree, hal met plavuizenvloer, trapopgang, trapberging en meterkast
Toilet voorzien van hangend closet
Open keuken voorzien van enkele deur naar de tuin, aanbouwinstallatie met de volgende apparatuur: keramische kookplaat, afzuiging, klein formaat vaatwasser, combi oven en koelkast
Woonkamer met eet- en zitgedeelte
De begane grond is voorzien van een plavuizenvloer
Eerste verdieping
Overloop
Slaapkamer I
Slaapkamer II met steektrap naar de zolder
Slaapkamer III
Badkamer voorzien van ligbad, wastafel, staand closet en witgoedaansluiting
De overloop en slaapkamers zijn voorzien van een laminaatvloer
Tweede verdieping
Via steektrap bereikbare bergzolder met CV installatie
Extern
Garage voorzien van kantelpoort