Met een eigen account kun je panden volgen, opslaan als favoriet, je zoekprofiel opslaan en jouw eigen notities bij een huis maken.
Algemeen
Een karakteristieke halfvrijstaande woning op een prachtige plek aan de voet van de Eyserbosweg, met een vrij uitzicht over het glooiende Heuvellandschap en een verrassend ruim woonoppervlak. Deze woning, opgetrokken in streekeigen Kunradersteen en oorspronkelijk historisch van aard, is in 1997 volledig herbouwd en daarmee klaar voor de toekomst. Je woont hier rustig, met weinig autoverkeer en... Meer informatie
-
Kenmerken
Alle kenmerken Type object Eengezinswoning, woonhuis, half vrijstaande woning Bouwjaar 1997 Status Nieuw in verkoop Aangeboden sinds Donderdag 30 april 2026 -
Locatie
Kenmerken
| Overdracht | |
|---|---|
| Vraagprijs | € 565.000,- k.k. |
| Status | Nieuw in verkoop |
| Aanvaarding | In overleg |
| Aangeboden sinds | Donderdag 30 april 2026 |
| Bouw | |
|---|---|
| Type object | Eengezinswoning, woonhuis, half vrijstaande woning |
| Soort bouw | Bestaande bouw |
| Bouwjaar | 1997 |
| Dakbedekking | Dakpannen |
| Type dak | Schilddak |
| Isolatievormen | Dakisolatie, Muurisolatie, Vloerisolatie |
| Oppervlaktes en inhoud | |
|---|---|
| Perceeloppervlakte | 240 m² |
| Woonoppervlakte | 175 m² |
| Woonkameroppervlakte | 41 m² |
| Inhoud | 602 m³ |
| Oppervlakte externe bergruimte | 23 m² |
| Tuinoppervlakte | 140 m² |
| Indeling | |
|---|---|
| Aantal bouwlagen | 3 |
| Aantal kamers | 7 (waarvan 4 slaapkamers) |
| Locatie | |
|---|---|
| Ligging | Aan rustige weg, Vrij uitzicht |
| Tuin | |
|---|---|
| Type | Achtertuin |
| Hoofdtuin | Ja |
| Oriëntering | Zuid-west |
| Heeft een achterom | Ja |
| Staat | Normaal |
| Tuin 2 - Type | Achtertuin |
| Tuin 2 - Staat | Normaal |
| Energieverbruik | |
|---|---|
| Energielabel | A |
| CV ketel | |
|---|---|
| CV ketel | Intergas HRE |
| Warmtebron | Gas |
| Bouwjaar | 2015 |
| Combiketel | Ja |
| Eigendom | Eigendom |
| Uitrusting | |
|---|---|
| Aantal parkeerplaatsen | 1 |
| Warm water | CV-ketel |
| Verwarmingssysteem | Centrale verwarming |
| Badkamervoorzieningen | Douche, Ligbad, Toilet, Wastafelmeubel |
| Tuin aanwezig | Ja |
| Heeft een parkeerplaats | Ja |
| Heeft schuur/berging | Ja |
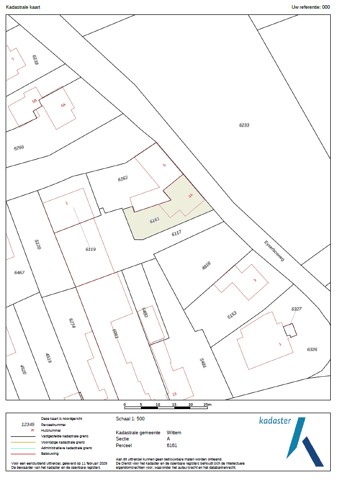
| Kadastrale gegevens | |
|---|---|
| Kadastrale aanduiding | Wittem A 6161 |
| Perceeloppervlakte | 240 m² |
| Omvang | Geheel perceel |
| Eigendomsituatie | Eigen grond |
Beschrijving
Een karakteristieke halfvrijstaande woning op een prachtige plek aan de voet van de Eyserbosweg, met een vrij uitzicht over het glooiende Heuvellandschap en een verrassend ruim woonoppervlak. Deze woning, opgetrokken in streekeigen Kunradersteen en oorspronkelijk historisch van aard, is in 1997 volledig herbouwd en daarmee klaar voor de toekomst. Je woont hier rustig, met weinig autoverkeer en direct nabij natuur en het Eyserbos, terwijl je vanuit de tuin iedere dag opnieuw geniet van een panoramisch uitzicht over Eys en de omliggende heuvels waar zelfs het Miljoenenlijntje doorheen rijdt. De woning biedt met circa 175 m² woonoppervlak volop leefruimte en comfort. De begane grond kenmerkt zich door royale leefruimtes met een prettige indeling. De serre aan de achterzijde vormt een mooie overgang tussen binnen en buiten en maakt dat je vrijwel het hele jaar door van de tuin kunt genieten. Het geheel voelt ruim en solide aan, met voldoende mogelijkheden om het naar eigen smaak in te richten. Op de verdiepingen bevinden zich maar liefst vier grote slaapkamers, waardoor het huis uitermate geschikt is voor gezinnen of voor wie extra werk- of hobbyruimte zoekt. Daarnaast zijn er praktische ruimtes zoals een berging en een ruime zolder aanwezig, ook is er een eigen parkeerplaats. De tuin is één van de grote pluspunten van dit object. Gelegen op het zuidwesten profiteer je hier van een uitstekende zonligging en een vrij uitzicht dat ieder seizoen weer anders is. Er is voldoende ruimte voor meerdere zitplekken, zodat je altijd een fijne plek vindt in de zon of juist in de schaduw. De ligging aan de Eyserbosweg is uniek: een rustige woonplek met een iconisch karakter voor wielerliefhebbers, midden in het Heuvelland en toch centraal gelegen ten opzichte van omliggende dorpen en steden. Hier woon je letterlijk aan de rand van de natuur, met alle vrijheid en rust die daarbij hoort.
Eys is een geliefd dorp in het Zuid-Limburgse Heuvelland, bekend om zijn gemoedelijke sfeer en prachtige natuur. Je vindt hier basisvoorzieningen zoals een bakker, horeca, basisschool en openbaar vervoer. Daarnaast kent het dorp een actief verenigingsleven met onder andere sportclubs, harmonie en carnavalsvereniging. Wat Eys extra bijzonder maakt, is de combinatie van rust en centrale ligging. Je woont hier net buiten de drukte, maar bent binnen enkele minuten in Simpelveld of Gulpen voor een uitgebreider aanbod aan winkels en voorzieningen. Ook steden als Maastricht, Heerlen, en Aken zijn goed bereikbaar. Voor natuurliefhebbers en wielrenners is dit een droomplek: de Eyserbosweg ligt letterlijk voor de deur en behoort tot de zwaarste beklimmingen van Nederland. Wandelen, fietsen of simpelweg genieten van het uitzicht – hier kan het allemaal.
Bijzonderheden
- HR combi CV-installatie (Intergas, 2015, eigendom)
- Hardhouten kozijnen met dubbele beglazing
- Rolluiken op de verdieping
- Badkamer vernieuwd in 2009
- Serre geplaatst in ca. 2018
- Rustige ligging nabij natuur en Eyserbos
- Aanvaarding in overleg
Globale indeling
Begane grond
Entree/hal met meterkast en trapopgang, tegelvloer
Toilet voorzien van hangend closet en fontein
Berging/bijkeuken met witgoedaansluitingen en enkele deur naar de oprit
Woonkamer voorzien van eetgedeelte en zitgedeelte, dubbele tuindeuren, parketvloer
Semi open keuken voorzien van aanbouwinstallatie met de volgende apparatuur: 5 pits gaskookplaat, oven, afzuigkap, koelkast, vaatwasser diepvries
Serre met dubbele schuifpui naar de tuin, betegelde vloer
Eerste verdieping
Overloop
Slaapkamer I
Slaapkamer II
Slaapkamer III
De overloop en slaapkamers zijn voorzien van een parketvloer
Badkamer voorzien van ligbad, douche, wastafelmeubel en hangend closet
Tweede verdieping
Vaste trap bereikbare zolderverdieping
Slaapkamer IV met dakramen
Zolderruimte met CV installatie
Extern
Houten tuinberging
Eys is een geliefd dorp in het Zuid-Limburgse Heuvelland, bekend om zijn gemoedelijke sfeer en prachtige natuur. Je vindt hier basisvoorzieningen zoals een bakker, horeca, basisschool en openbaar vervoer. Daarnaast kent het dorp een actief verenigingsleven met onder andere sportclubs, harmonie en carnavalsvereniging. Wat Eys extra bijzonder maakt, is de combinatie van rust en centrale ligging. Je woont hier net buiten de drukte, maar bent binnen enkele minuten in Simpelveld of Gulpen voor een uitgebreider aanbod aan winkels en voorzieningen. Ook steden als Maastricht, Heerlen, en Aken zijn goed bereikbaar. Voor natuurliefhebbers en wielrenners is dit een droomplek: de Eyserbosweg ligt letterlijk voor de deur en behoort tot de zwaarste beklimmingen van Nederland. Wandelen, fietsen of simpelweg genieten van het uitzicht – hier kan het allemaal.
Bijzonderheden
- HR combi CV-installatie (Intergas, 2015, eigendom)
- Hardhouten kozijnen met dubbele beglazing
- Rolluiken op de verdieping
- Badkamer vernieuwd in 2009
- Serre geplaatst in ca. 2018
- Rustige ligging nabij natuur en Eyserbos
- Aanvaarding in overleg
Globale indeling
Begane grond
Entree/hal met meterkast en trapopgang, tegelvloer
Toilet voorzien van hangend closet en fontein
Berging/bijkeuken met witgoedaansluitingen en enkele deur naar de oprit
Woonkamer voorzien van eetgedeelte en zitgedeelte, dubbele tuindeuren, parketvloer
Semi open keuken voorzien van aanbouwinstallatie met de volgende apparatuur: 5 pits gaskookplaat, oven, afzuigkap, koelkast, vaatwasser diepvries
Serre met dubbele schuifpui naar de tuin, betegelde vloer
Eerste verdieping
Overloop
Slaapkamer I
Slaapkamer II
Slaapkamer III
De overloop en slaapkamers zijn voorzien van een parketvloer
Badkamer voorzien van ligbad, douche, wastafelmeubel en hangend closet
Tweede verdieping
Vaste trap bereikbare zolderverdieping
Slaapkamer IV met dakramen
Zolderruimte met CV installatie
Extern
Houten tuinberging