Met een eigen account kun je panden volgen, opslaan als favoriet, je zoekprofiel opslaan en jouw eigen notities bij een huis maken.
Algemeen
Een prima verzorgde twee-onder-een kap woning met garage, bergingen, brede oprit en extra diepe tuin gelegen op een rustige locatie in de kern van Eys. In de jaren vijftig van de vorige eeuw is deze leuke tweekapper gebouwd, sindsdien is het pand steeds keurig onderhouden waardoor er een solide basis ligt voor een toekomstige bewoner. Groot pluspunt van dit object is het royale formaat perceel... Meer informatie
-
Kenmerken
Alle kenmerken Type object Eengezinswoning, woonhuis, twee onder een kap woning Bouwjaar 1953 Status Onder bod Aangeboden sinds Dinsdag 2 december 2025 -
Locatie
Kenmerken
| Overdracht | |
|---|---|
| Vraagprijs | € 345.000,- k.k. |
| Status | Onder bod |
| Aanvaarding | In overleg |
| Aangeboden sinds | Dinsdag 2 december 2025 |
| Bouw | |
|---|---|
| Type object | Eengezinswoning, woonhuis, twee onder een kap woning |
| Soort bouw | Bestaande bouw |
| Bouwjaar | 1953 |
| Dakbedekking | Dakpannen |
| Type dak | Zadeldak |
| Isolatievormen | Dubbel glas |
| Oppervlaktes en inhoud | |
|---|---|
| Perceeloppervlakte | 572 m² |
| Woonoppervlakte | 92 m² |
| Woonkameroppervlakte | 27 m² |
| Inhoud | 364 m³ |
| Oppervlakte overige inpandige ruimten | 8 m² |
| Oppervlakte externe bergruimte | 64 m² |
| Tuinoppervlakte | 460 m² |
| Indeling | |
|---|---|
| Aantal bouwlagen | 3 (en 1 kelder) |
| Aantal kamers | 6 (waarvan 3 slaapkamers) |
| Locatie | |
|---|---|
| Ligging | Aan rustige weg, In woonwijk |
| Tuin | |
|---|---|
| Type | Achtertuin |
| Hoofdtuin | Ja |
| Oriëntering | Noorden |
| Staat | Normaal |
| Tuin 2 - Type | Achtertuin |
| Tuin 2 - Staat | Normaal |
| Tuin 3 - Type | Voortuin |
| Tuin 3 - Staat | Normaal |
| Energieverbruik | |
|---|---|
| Energielabel | E |
| CV ketel | |
|---|---|
| CV ketel | Nefit |
| Warmtebron | Gas |
| Bouwjaar | 2022 |
| Combiketel | Ja |
| Eigendom | Eigendom |
| Uitrusting | |
|---|---|
| Aantal parkeerplaatsen | 3 |
| Warm water | CV-ketel |
| Verwarmingssysteem | Centrale verwarming |
| Badkamervoorzieningen | Douche, Wastafel |
| Tuin aanwezig | Ja |
| Heeft schuur/berging | Ja |
| Kadastrale gegevens | |
|---|---|
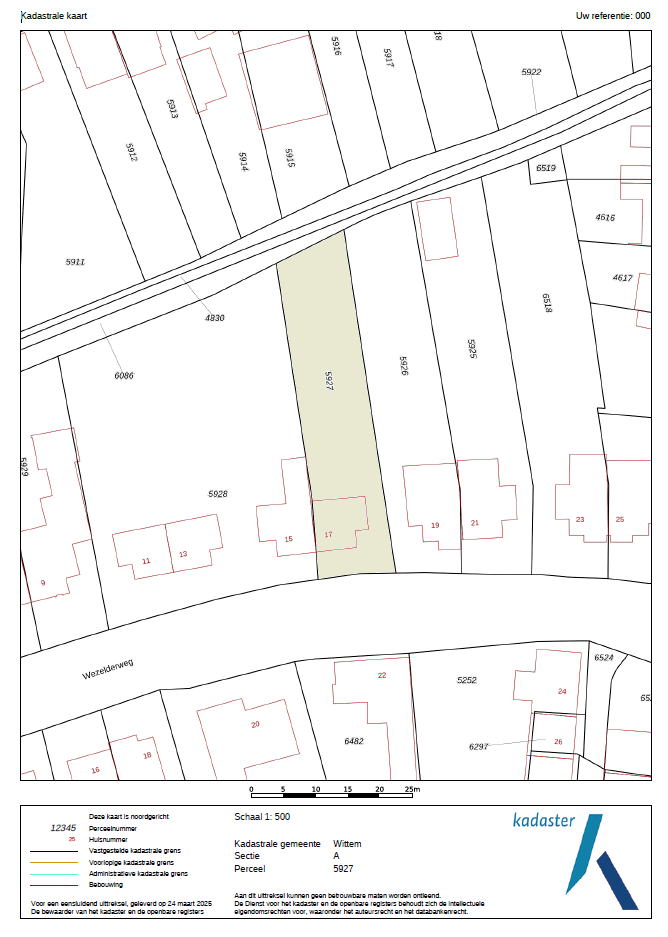
| Kadastrale aanduiding | Wittem A 5927 |
| Perceeloppervlakte | 572 m² |
| Omvang | Geheel perceel |
| Eigendomsituatie | Eigen grond |
Beschrijving
Een prima verzorgde twee-onder-een kap woning met garage, bergingen, brede oprit en extra diepe tuin gelegen op een rustige locatie in de kern van Eys. In de jaren vijftig van de vorige eeuw is deze leuke tweekapper gebouwd, sindsdien is het pand steeds keurig onderhouden waardoor er een solide basis ligt voor een toekomstige bewoner. Groot pluspunt van dit object is het royale formaat perceel van maar liefst 572 m2, de tuinliefhebber komt hier dus zeker aan zijn trekken. De diepe tuin die grenst aan de Eyserbeek geeft je alle mogelijkheden voor het buitenleven, van moestuin tot speelplek voor de kinderen en van loungehoek tot groot terras. Maar ook als je nog een aanbouw aan de woning wilt realiseren, blijft er een zeer ruime tuin beschikbaar. Aan de voorzijde is er een dubbelbrede oprit zodat je ruime parkeergelegenheid hebt op eigen terrein. De woning beschikt over een lichte woonkamer, gesloten keuken met neutrale aanbouwinstallatie, nette badkamer en drie slaapkamers. Direct aansluitend aan de woning vinden we een goed bemeten garage en aangebouwde stenen berging. Kortom, een huis met een zeer keurige basis waar alle mogelijkheden liggen voor het realiseren van je woonwensen.
Eys is een fijne plek om te wonen, daar zijn meerdere redenen voor te benoemen. Allereerst betreft het een sfeervol dorp met basisvoorzieningen zoals bakker, horeca, basisschool en openbaar vervoer. Ook heeft het dorp een actief sociaal leven met onder andere sportclubs, harmonie, carnavalsvereniging en meer, waar je zeker van harte welkom bent. Het is er heerlijk rustig wonen, met net wat minder toeristische drukte. Een extra plus is natuurlijk dat rondom het gehele dorp het heuvellandschap zichtbaar is, zoals het Eyserbos, Trintelen en de Eyserheide. Het is dan ook een geliefde plaats voor wandelaars en de wielrensport, de Eyserbosweg is een van de lastigste klimmen in Zuid-Limburg. Tenslotte is de centrale ligging in het Heuvelland ook een grote pré, je bent snel in de nabij gelegen centrumkernen Simpelveld en Gulpen voor een uitgebreid voorzieningenaanbod, en ook autowegen bereik je binnen enkele autominuten. Hierdoor reis je net wat sneller naar steden als Maastricht, Heerlen, Aken of Eindhoven.
Bijzonderheden
- Bouwjaar 1953
- Kunststoffen kozijnen voorzien van dubbele beglazing
- HR combi CV installatie (Nefit, installatiejaar 2022, eigendom)
- De gevels zijn gezandstraald en opnieuw ingevoegd
- Badkamer, keuken, garage en berging zijn gerealiseerd in 1995
- Aanvaarding in overleg
Globale indeling
Souterrain
Provisiekelder voorzien van tegelvloer
Begane grond
Entree, hal voorzien van vloerbedekking, meterkast en trapopgang
toilet voorzien van hangend closet en fontein
Woonkamer voorzien van vloerbedekking
Gesloten keuken voorzien van tegelvloer, enkele deur naar de tuin, aanbouwinstallatie met keramische kookplaat, afzuigkap, oven, vaatwasser en koelkast
Badkamer voorzien van wastafel en douchecabine
Garage met rolluik
Bergingen
Eerste verdieping
Overloop met muurkast
Slaapkamer I
Slaapkamer II
Slaapkamer III
De overloop en slaapkamers zijn allen voorzien van vloerbedekking
Wasruimte met witgoedaansluiting en CV installatie
Tweede verdieping
Via luik in muurkast bereikbare bergzolder
Eys is een fijne plek om te wonen, daar zijn meerdere redenen voor te benoemen. Allereerst betreft het een sfeervol dorp met basisvoorzieningen zoals bakker, horeca, basisschool en openbaar vervoer. Ook heeft het dorp een actief sociaal leven met onder andere sportclubs, harmonie, carnavalsvereniging en meer, waar je zeker van harte welkom bent. Het is er heerlijk rustig wonen, met net wat minder toeristische drukte. Een extra plus is natuurlijk dat rondom het gehele dorp het heuvellandschap zichtbaar is, zoals het Eyserbos, Trintelen en de Eyserheide. Het is dan ook een geliefde plaats voor wandelaars en de wielrensport, de Eyserbosweg is een van de lastigste klimmen in Zuid-Limburg. Tenslotte is de centrale ligging in het Heuvelland ook een grote pré, je bent snel in de nabij gelegen centrumkernen Simpelveld en Gulpen voor een uitgebreid voorzieningenaanbod, en ook autowegen bereik je binnen enkele autominuten. Hierdoor reis je net wat sneller naar steden als Maastricht, Heerlen, Aken of Eindhoven.
Bijzonderheden
- Bouwjaar 1953
- Kunststoffen kozijnen voorzien van dubbele beglazing
- HR combi CV installatie (Nefit, installatiejaar 2022, eigendom)
- De gevels zijn gezandstraald en opnieuw ingevoegd
- Badkamer, keuken, garage en berging zijn gerealiseerd in 1995
- Aanvaarding in overleg
Globale indeling
Souterrain
Provisiekelder voorzien van tegelvloer
Begane grond
Entree, hal voorzien van vloerbedekking, meterkast en trapopgang
toilet voorzien van hangend closet en fontein
Woonkamer voorzien van vloerbedekking
Gesloten keuken voorzien van tegelvloer, enkele deur naar de tuin, aanbouwinstallatie met keramische kookplaat, afzuigkap, oven, vaatwasser en koelkast
Badkamer voorzien van wastafel en douchecabine
Garage met rolluik
Bergingen
Eerste verdieping
Overloop met muurkast
Slaapkamer I
Slaapkamer II
Slaapkamer III
De overloop en slaapkamers zijn allen voorzien van vloerbedekking
Wasruimte met witgoedaansluiting en CV installatie
Tweede verdieping
Via luik in muurkast bereikbare bergzolder