Met een eigen account kun je panden volgen, opslaan als favoriet, je zoekprofiel opslaan en jouw eigen notities bij een huis maken.
Algemeen
Charmant wonen in één van de meest markante straatjes van Gulpen, heerlijk rustig en toch midden in het levendige centrum van het dorp, dat kun je zeer zeker in deze verrassend ruime en karakteristieke halfvrijstaande woning met diepe achtertuin en sfeervolle voortuin, achteringang en eigen parkeergelegenheid. Aan de voorzijde oogt de authentieke gevel met blauwe luiken nog enigszins bescheiden... Meer informatie
-
Kenmerken
Alle kenmerken Type object Eengezinswoning, woonhuis, half vrijstaande woning Bouwjaar 1830 Status Verkocht Aangeboden sinds Donderdag 26 juni 2025 -
Locatie
Kenmerken
| Overdracht | |
|---|---|
| Vraagprijs | € 685.000,- k.k. |
| Status | Verkocht |
| Aanvaarding | In overleg |
| Aangeboden sinds | Donderdag 26 juni 2025 |
| Laatste wijziging | Woensdag 27 mei 2026 |
| Bouw | |
|---|---|
| Type object | Eengezinswoning, woonhuis, half vrijstaande woning |
| Soort bouw | Bestaande bouw |
| Bouwjaar | 1830 |
| Oppervlaktes en inhoud | |
|---|---|
| Perceeloppervlakte | 412 m² |
| Woonoppervlakte | 235 m² |
| Inhoud | 1.153 m³ |
| Oppervlakte overige inpandige ruimten | 55 m² |
| Oppervlakte gebouwgebonden buitenruimte | 61 m² |
| Indeling | |
|---|---|
| Aantal bouwlagen | 3 (en 1 kelder) |
| Aantal kamers | 12 (waarvan 5 slaapkamers) |
| Locatie | |
|---|---|
| Ligging | Aan rustige weg, In centrum, Vrij uitzicht |
| Tuin | |
|---|---|
| Type | Achtertuin |
| Energieverbruik | |
|---|---|
| Energielabel | E |
| CV ketel | |
|---|---|
| CV ketel | Vaillant ecotec plus |
| Warmtebron | Gas |
| Bouwjaar | 2023 |
| Combiketel | Ja |
| Eigendom | Huur |
| Uitrusting | |
|---|---|
| Warm water | CV-ketel |
| Verwarmingssysteem | Centrale verwarming |
| Tuin aanwezig | Ja |
| Kadastrale gegevens | |
|---|---|
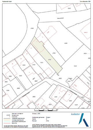
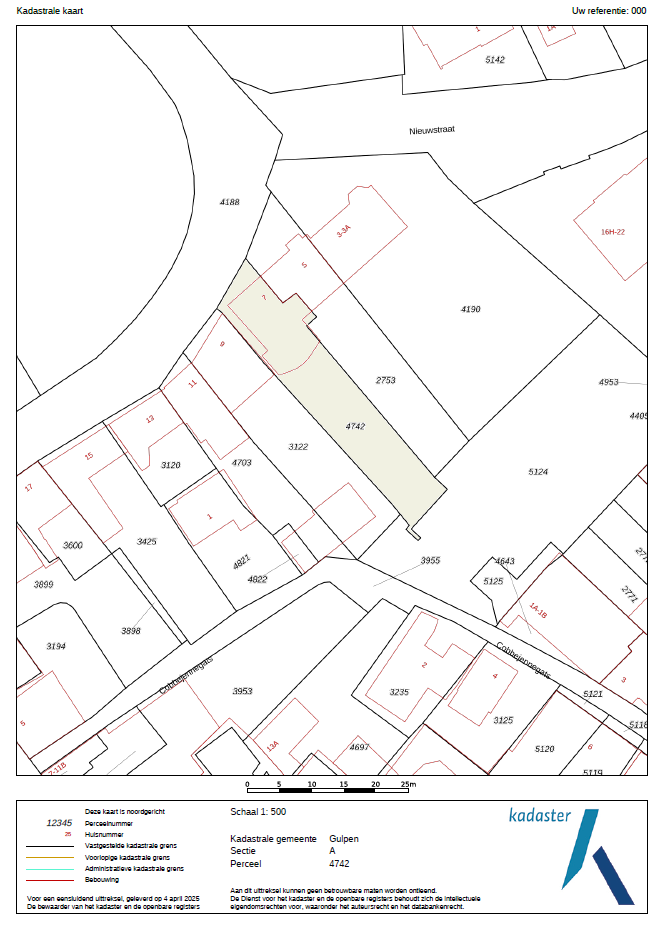
| Kadastrale aanduiding | Gulpen A 4742 |
| Perceeloppervlakte | 412 m² |
| Omvang | Geheel perceel |
| Eigendomsituatie | Eigen grond |
Beschrijving
Charmant wonen in één van de meest markante straatjes van Gulpen, heerlijk rustig en toch midden in het levendige centrum van het dorp, dat kun je zeer zeker in deze verrassend ruime en karakteristieke halfvrijstaande woning met diepe achtertuin en sfeervolle voortuin, achteringang en eigen parkeergelegenheid. Aan de voorzijde oogt de authentieke gevel met blauwe luiken nog enigszins bescheiden, daarachter ontvouwt zich een zeer ruim bemeten woonhuis van maar liefst 235 m2 woonoppervlak. Het oorspronkelijke woonhuis ademt sfeer met onder meer hoge plafonds, de originele natuurstenenvloer en bordestrap in de hal. Aan de achterzijde is in 2002 een forse aanbouw over twee woonlagen gerealiseerd, de leefruimtes gaan naadloos in elkaar over en de brede raampartij geven een uniek uitzicht over Gulpen en de aangrenzende Gulperberg. Het grote balkon is je eerste buitenruimte om lekker lang buiten te kunnen tafelen. De langgerekte woonkamer met parketvloer staat in open verbinding met de eetkamer voorzien van lichtstraat en glazen doorkijk in de vloer, tezamen vormen deze kamers een heerlijke leefruimte. De keurige keuken is heel compleet uitgevoerd en biedt veel kastruimte, vanuit het raam kijk je weer mooi uit over Gulpen. De verdiepingen tellen maar liefst vijf goed bemeten slaapkamers en een moderne badkamer met vrijstaand ligbad en inloopdouche. In het souterrain vinden we diverse praktische kelders en de tuinkamer, de ideale "extra" kamer in huis. Of je het nu gebruikt als thuiswerkplek, speelkamer voor de kinderen of als echt zomerverblijf, het kan allemaal. De diepe tuin gesitueerd op Zuidoost is aangelegd in meerdere terrassen met gazons en aan de randen voorzien van kleurrijke beplanting. Aan de achterzijde van de tuin heb je een dubbele parkeerplaats zodat je auto's altijd op eigen terrein gestald kunnen worden, deze is toegankelijk via de openbare parkeerplaats aan de Cobbejennegats. Ook heb je een eigen pad aan de zijkant van je woning om achterom te komen. Vanuit huis loop je binnen enkele passen naar het centrum voor een snelle boodschap of om een gezellig terrasje te pikken. We concluderen: een veelzijdig object voor de liefhebber van karakteristiek wonen met een maatje meer, en dat op een wel heel bijzonder plekje. Zonder twijfel, dit is een huis om verliefd op te worden!
Gulpen is letterlijk het hart van Heuvellandgemeente Gulpen-Wittem. Dit sfeerrijke dorp met uitvalswegen naar Maastricht en Aken is de echte centrumkern, dat maakt het er prettig wonen. Daar zijn vele redenen voor te noemen. Allereerst een uitstekend voorzieningenniveau, denk daarbij aan een uitgebreid en gevarieerd winkelaanbod in het gezellig winkelcentrum. Maar ook basis en voortgezet onderwijs en medische voorzieningen zijn aanwezig. Tenslotte zorgt het busstation, dat dichtbij de woning gelegen is, ervoor dat vanuit Gulpen alle kanten op gereisd kan worden met openbaar vervoer. Naast deze praktische voordelen heeft Gulpen ook sfeer en gezelligheid te bieden. In het centrum zijn vele horecazaken te vinden, zodat eenieder er naar zijn smaak gezellig kan vertoeven. Tenslotte wordt het dorp omringd door het groene Heuvellandschap, heerlijk voor vele wandel- of fietstochten.
Bijzonderheden
- Hardhouten kozijnen voorzien van dubbele beglazing
- HR combi CV installatie, Vaillant, bouwjaar 2023, huur (de huurovereenkomst wordt overgedragen aan de koper)
- Het dak is gerenoveerd in 2014, het is voorzien van geïsoleerde dakplaten en nieuwe dakpannen. Het platte dak is in 2016 van nieuwe bitumen dakbedekking voorzien.
- De aanbouw aan de achterzijde is gerealiseerd in 2002
- De badkamer, eetkamer en een deel van het souterrain is voorzien van vloerverwarming
- De badkamer is vernieuwd in circa 2005, de keuken in circa 2010
- Het balkon is vernieuwd in 2016
- Aanvaarding in overleg, op korte termijn mogelijk
Globale indeling
Souterrain
Binnenhal met trapopgang, tegelvloer
Kelder I
Kelder II
Wasruimte met witgoedaansluiting
Tuinkamer voorzien van tegelvloer met vloerverwarming, dubbele tuindeuren
Toilet voorzien van hangend closet
Overkapping
Begane grond
Entree, hal met hardstenen vloer, meterkast en bordestrap
Gesloten keuken voorzien van aanbouwinstallatie met keramische kookplaat, afzuiging, oven, combi magnetron, koelkast, vriezer en vaatwasser
Woonkamer voorzien van parketvloer
Eetkamer met hardstenen vloer, lichtstraat, dubbele tuindeuren naar het balkon
Toilet voorzien van hangend closet en fontein
Eerste verdieping
Overloop
Slaapkamer I
Slaapkamer II
Slaapkamer III
De overloop en slaapkamers zijn voorzien van een parketvloer
Badkamer voorzien van vrijstaand ligbad, inloopdouche, wastafelmeubel en hangend toilet
Tweede verdieping
Overloop
Slaap/hobbykamer IV met dakramen en laminaatvloer
Berging
Slaapkamer V met dakraam en parketvloer
Gulpen is letterlijk het hart van Heuvellandgemeente Gulpen-Wittem. Dit sfeerrijke dorp met uitvalswegen naar Maastricht en Aken is de echte centrumkern, dat maakt het er prettig wonen. Daar zijn vele redenen voor te noemen. Allereerst een uitstekend voorzieningenniveau, denk daarbij aan een uitgebreid en gevarieerd winkelaanbod in het gezellig winkelcentrum. Maar ook basis en voortgezet onderwijs en medische voorzieningen zijn aanwezig. Tenslotte zorgt het busstation, dat dichtbij de woning gelegen is, ervoor dat vanuit Gulpen alle kanten op gereisd kan worden met openbaar vervoer. Naast deze praktische voordelen heeft Gulpen ook sfeer en gezelligheid te bieden. In het centrum zijn vele horecazaken te vinden, zodat eenieder er naar zijn smaak gezellig kan vertoeven. Tenslotte wordt het dorp omringd door het groene Heuvellandschap, heerlijk voor vele wandel- of fietstochten.
Bijzonderheden
- Hardhouten kozijnen voorzien van dubbele beglazing
- HR combi CV installatie, Vaillant, bouwjaar 2023, huur (de huurovereenkomst wordt overgedragen aan de koper)
- Het dak is gerenoveerd in 2014, het is voorzien van geïsoleerde dakplaten en nieuwe dakpannen. Het platte dak is in 2016 van nieuwe bitumen dakbedekking voorzien.
- De aanbouw aan de achterzijde is gerealiseerd in 2002
- De badkamer, eetkamer en een deel van het souterrain is voorzien van vloerverwarming
- De badkamer is vernieuwd in circa 2005, de keuken in circa 2010
- Het balkon is vernieuwd in 2016
- Aanvaarding in overleg, op korte termijn mogelijk
Globale indeling
Souterrain
Binnenhal met trapopgang, tegelvloer
Kelder I
Kelder II
Wasruimte met witgoedaansluiting
Tuinkamer voorzien van tegelvloer met vloerverwarming, dubbele tuindeuren
Toilet voorzien van hangend closet
Overkapping
Begane grond
Entree, hal met hardstenen vloer, meterkast en bordestrap
Gesloten keuken voorzien van aanbouwinstallatie met keramische kookplaat, afzuiging, oven, combi magnetron, koelkast, vriezer en vaatwasser
Woonkamer voorzien van parketvloer
Eetkamer met hardstenen vloer, lichtstraat, dubbele tuindeuren naar het balkon
Toilet voorzien van hangend closet en fontein
Eerste verdieping
Overloop
Slaapkamer I
Slaapkamer II
Slaapkamer III
De overloop en slaapkamers zijn voorzien van een parketvloer
Badkamer voorzien van vrijstaand ligbad, inloopdouche, wastafelmeubel en hangend toilet
Tweede verdieping
Overloop
Slaap/hobbykamer IV met dakramen en laminaatvloer
Berging
Slaapkamer V met dakraam en parketvloer